Se Connecter/S’inscrire
Votre courriel a été envoyé.
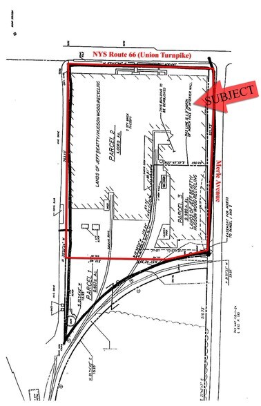
0 Merle Ave Lot • Terrain commercial • 5 Acres • 888 700 $ CAD • Hudson, NY 12534



Certaines informations ont été traduites automatiquement.
Faits saillants de l'investissement
- Route 66 du NYS @ avenue Merle
- 400,00' de façade sur NYS RT 66, Union Turnpike
- Gaz et électricité
- 531,73 pi de façade sur l'avenue Merle
- Eau et égout de la ville
- Utilisations possibles : Logement d'artiste, hôtel, R-D industrielle, etc.
Résumé de l'annonce
Site de développement de 5 acres
Route 66 /Union Turnpike (NYS)
Ville de Greenport, comté de Columbia, NY
Route 66 /Union Turnpike (NYS)
Ville de Greenport, comté de Columbia, NY
Faits sur la propriété
| Prix | 888 700 $ CAD | Type de propriété | Terrain |
| Type de vente | Investissement | Sous-type de propriété | Terrain commercial |
| Nombre de lots | 1 | Taille totale du lot | 5,00 AC |
| Prix | 888 700 $ CAD |
| Type de vente | Investissement |
| Nombre de lots | 1 |
| Type de propriété | Terrain |
| Sous-type de propriété | Terrain commercial |
| Taille totale du lot | 5,00 AC |
1 Lot disponible
Lot
| Prix | 888 700 $ CAD | Taille du lot | 5,00 AC |
| Prix par AC | 177 739,91 $ CAD |
| Prix | 888 700 $ CAD |
| Prix par AC | 177 739,91 $ CAD |
| Taille du lot | 5,00 AC |
531,73' de façade sur l'avenue Merle 400,00 pieds de façade sur NYS RT 66, Union Turnpike
1 1
1 de 4
Vidéos
Visite extérieure 3D Matterport
Visite 3D Matterport
Photos
Vue depuis la rue
Rue
Carte
1 de 1
Présenté par
0 Merle Ave
Vous êtes déjà membre? Connectez-vous
Hmm, il semble y avoir eu une erreur lors de l’envoi de votre message. Veuillez réessayer.
Merci! Votre message a été envoyé.
