Se Connecter/S’inscrire
Votre courriel a été envoyé.
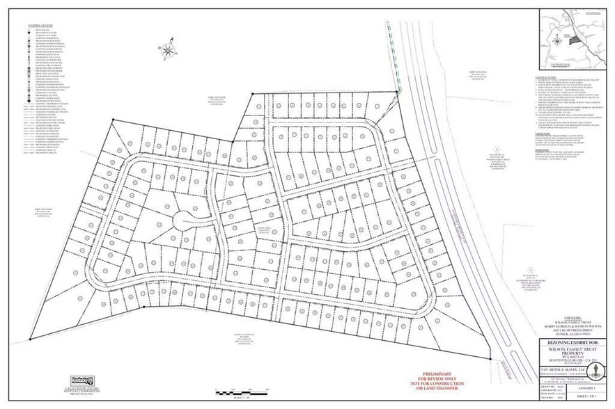
0 Scottsville rd - 61 Acres Approved for 157 Single Family Lots Lot • Terrain commercial • 61,66 Acres • 3 409 150 $ CAD • Alvaton, KY 42122



Certaines informations ont été traduites automatiquement.
Faits saillants de l'investissement
- 157 Planned Single-Family Lots with subdivision layout in place
- Positioned within a Predominantly Owner-Occupied Trade Area supporting long-term residential stability
- Located on Scottsville Road within the expanding South Warren corridor
- Rezoned RS-1B, allowing for single-family residential development
- Surrounded by Established Residential Growth in one of Bowling Green’s most active housing submarkets
Résumé de l'annonce
This offering presents a well-positioned residential development opportunity at 0 Scottsville Rd, located on the west side of the road in one of South Warren County’s
most desirable and expanding areas. The property consists of vacant land that has been rezoned to RS-1B, Single-Family Residential, and is planned for 157 single-family lots. Located within an area experiencing continued residential development and consistent household growth, the site benefits from its position along the Alvaton corridor, one of South Warren County’s most active and steadily growing residential areas. With zoning secured and subdivision planning underway, the property represents a scalable single-family development opportunity in a proven growth pocket of the greater Bowling Green market.
most desirable and expanding areas. The property consists of vacant land that has been rezoned to RS-1B, Single-Family Residential, and is planned for 157 single-family lots. Located within an area experiencing continued residential development and consistent household growth, the site benefits from its position along the Alvaton corridor, one of South Warren County’s most active and steadily growing residential areas. With zoning secured and subdivision planning underway, the property represents a scalable single-family development opportunity in a proven growth pocket of the greater Bowling Green market.
Faits sur la propriété
1 Lot disponible
Lot
| Prix | 3 409 150 $ CAD | Taille du lot | 61,66 AC |
| Prix par AC | 55 289,49 $ CAD |
| Prix | 3 409 150 $ CAD |
| Prix par AC | 55 289,49 $ CAD |
| Taille du lot | 61,66 AC |
61 acres zoned for 157 single-family lots on Scottsville Rd.
Impraticable à pied
10/100
Exceptionnellement facile d’accès en voiture
100/100
Impôts fonciers
| Numéro de lot | 067A-61 | Évaluation des bâtiments | 0 $ CAD |
| Évaluation du terrain | 0 $ CAD | Évaluation totale | 2 697 158 $ CAD |
Impôts fonciers
Numéro de lot
067A-61
Évaluation du terrain
0 $ CAD
Évaluation des bâtiments
0 $ CAD
Évaluation totale
2 697 158 $ CAD
1 de 7
Vidéos
Visite extérieure 3D Matterport
Visite 3D Matterport
Photos
Vue depuis la rue
Rue
Carte
Présenté par
0 Scottsville rd - 61 Acres Approved for 157 Single Family Lots
Vous êtes déjà membre? Connectez-vous
Hmm, il semble y avoir eu une erreur lors de l’envoi de votre message. Veuillez réessayer.
Merci! Votre message a été envoyé.

