Se Connecter/S’inscrire
Votre courriel a été envoyé.
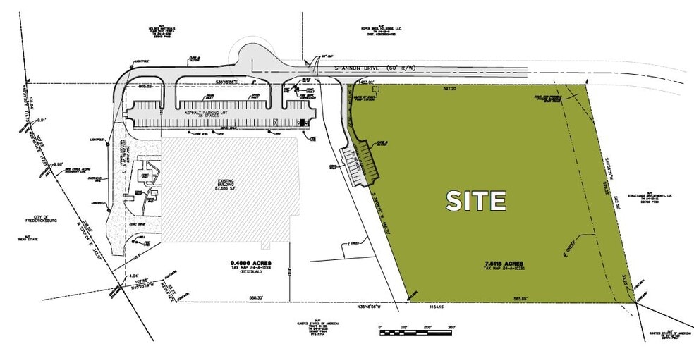
0 Shannon Dr
Fredericksburg, VA 22408
Terrain À vendre
·
7,51 AC


Certaines informations ont été traduites automatiquement.
Faits sur la propriété
1 Lot disponible
Lot
| Prix | 1 356 508 $ CAD | Taille du lot | 7,51 AC |
| Prix par AC | 180 626,86 $ CAD |
| Prix | 1 356 508 $ CAD |
| Prix par AC | 180 626,86 $ CAD |
| Taille du lot | 7,51 AC |
Description
7,51 ± Acres de site de développement commercial potentiel Situé dans le parc industriel Shannon Drive, prêt à être aménagé Entouré par Universal Dynamics, Carter Lumber, Fiber Technologies, Pepsi-Cola Co, Trussway, M&M Auto Parts, Print Innovators et de nombreuses attractions commerciales Les propriétaires envisageront une construction sur mesure et/ou un bail foncier Situé près du centre-ville de Fredericksburg Accès facile à l'I-95, à l'autoroute Jefferson Davis (route 1), au sentier Tidewater (autobus 17) et au CSX Prix demandé : 975 000$
Impôts fonciers
| Numéro de lot | 24-A-103E | Évaluation des bâtiments | 0 $ CAD |
| Évaluation du terrain | 564 307 $ CAD | Évaluation totale | 564 307 $ CAD |
Impôts fonciers
Numéro de lot
24-A-103E
Évaluation du terrain
564 307 $ CAD
Évaluation des bâtiments
0 $ CAD
Évaluation totale
564 307 $ CAD
1 de 3
Vidéos
Visite extérieure 3D Matterport
Visite 3D Matterport
Photos
Vue depuis la rue
Rue
Carte
