Se Connecter/S’inscrire
Votre courriel a été envoyé.
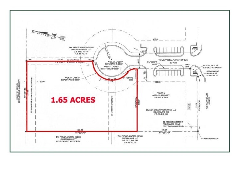
0 Tommy Stalnaker Dr
Warner Robins, GA 31088
Commercial Lot · Terrain À vendre
·
1,65 AC


Certaines informations ont été traduites automatiquement.
Faits saillants de l'investissement
- Emplacement cul-de-sac avec tous les services publics souterrains.
- Taxes foncières : 1867.00$
- Dénombrement de la circulation : boulevard Watson — 25 200 vpj
Faits sur la propriété Sous contrat
| Type de vente | Investissement | Sous-type de propriété | Terrain commercial |
| Nombre de lots | 1 | Utilisation proposée | Commercial |
| Type de propriété | Terrain | Taille totale du lot | 1,65 AC |
| Zonage | C-2 | ||
| Type de vente | Investissement |
| Nombre de lots | 1 |
| Type de propriété | Terrain |
| Sous-type de propriété | Terrain commercial |
| Utilisation proposée | Commercial |
| Taille totale du lot | 1,65 AC |
| Zonage | C-2 |
1 Lot disponible
Lot
| Prix | 272 445 $ CAD | Taille du lot | 1,65 AC |
| Prix par AC | 165 118,15 $ CAD |
| Prix | 272 445 $ CAD |
| Prix par AC | 165 118,15 $ CAD |
| Taille du lot | 1,65 AC |
Description
1,65 acre dans un endroit très achalandé au large du boulevard Osigian et du boulevard Watson.
Impôts fonciers
| Numéro de lot | 0W78D0 323000 | Évaluation des bâtiments | 0 $ CAD |
| Évaluation du terrain | 54 031 $ CAD | Évaluation totale | 54 031 $ CAD |
Impôts fonciers
Numéro de lot
0W78D0 323000
Évaluation du terrain
54 031 $ CAD
Évaluation des bâtiments
0 $ CAD
Évaluation totale
54 031 $ CAD
1 de 3
Vidéos
Visite extérieure 3D Matterport
Visite 3D Matterport
Photos
Vue depuis la rue
Rue
Carte
