Se Connecter/S’inscrire
Votre courriel a été envoyé.
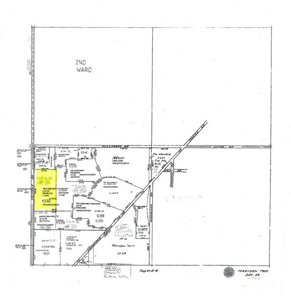
0 Trimble Rd
Mansfield, OH 44906
Terrain À vendre
·
12,85 AC


Certaines informations ont été traduites automatiquement.
Faits saillants de l'investissement
- Idéal pour les bureaux médicaux ou d'affaires.
- Proximité des espaces commerciaux
Faits sur la propriété
1 Lot disponible
Lot
| Prix | 1 239 750 $ CAD | Taille du lot | 12,85 AC |
| Prix par AC | 96 478,60 $ CAD |
| Prix | 1 239 750 $ CAD |
| Prix par AC | 96 478,60 $ CAD |
| Taille du lot | 12,85 AC |
La Ville a récemment élargi la route et amené tous les services publics sur le site. Terrain non aménagé à usage commercial : cabinets médicaux, restaurants, etc. Actuellement zoné AG - Agricole. Chemin Trimble S entre le chemin Marion et Millsboro S.W. 12.856 AC/0270722188000
Description
Ce lot de 12,856 acres est situé sur le corridor mis à jour du chemin Trimble. Le lot est adapté pour être aménagé pour des bureaux médicaux ou commerciaux.
1 de 3
Vidéos
Visite extérieure 3D Matterport
Visite 3D Matterport
Photos
Vue depuis la rue
Rue
Carte
