Se Connecter/S’inscrire
Votre courriel a été envoyé.
0 Valley Pike - 3 Parcels Valley Pike Lot • Terrain commercial • 26,44 Acres • 4 036 562 $ CAD • Stephens City, VA 22655



Certaines informations ont été traduites automatiquement.
Faits saillants de l'investissement
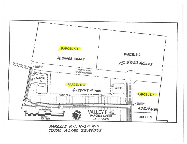
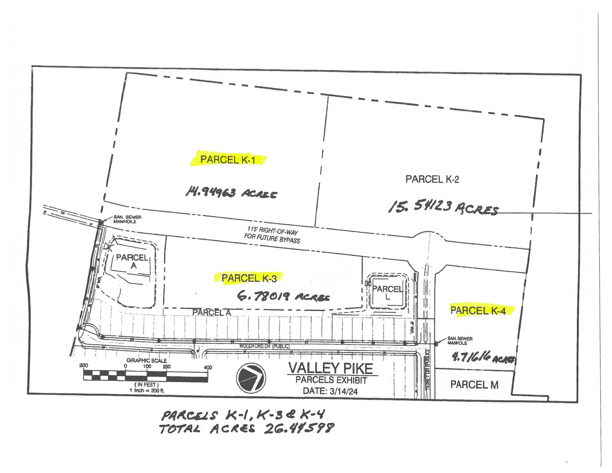
- Three parcels totaling 26.44 acres in Stephens City
- High traffic counts up to 59,000 vehicles/day
- Industrial and commercial zoning flexibility
- Zoned NDD within a growing residential corridor
- Near I-81, Route 11, and CSX rail infrastructure
- Public utilities and future bypass access included
Résumé de l'annonce
superficie totale de 26,44 NDD zonée AC (voir pièce jointe dans les documents) Situé dans un nouveau développement résidentiel et nécessite l'approbation de la ville de Stephens City.
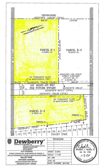
14.94963 AC d'un terrain industriel au cœur de Stephens City. Située dans un nouveau développement résidentiel, la parcelle K-1 est zonée NDD (voir pièce jointe dans les documents) et nécessite l'approbation de la ville de Stephens City.
6.78019 AC d'un terrain commercial au cœur de Stephens City. Située dans un nouveau développement résidentiel, la parcelle K-3 est zonée NDD (voir pièce jointe dans les documents) et nécessite l'approbation de la ville de Stephens City.
4.71516 AC d'un terrain commercial au cœur de Stephens City. Située dans un nouveau développement résidentiel, la parcelle K-4 est zonée NDD (voir pièce jointe dans les documents) et nécessite l'approbation municipale de Stephens City
14.94963 AC d'un terrain industriel au cœur de Stephens City. Située dans un nouveau développement résidentiel, la parcelle K-1 est zonée NDD (voir pièce jointe dans les documents) et nécessite l'approbation de la ville de Stephens City.
6.78019 AC d'un terrain commercial au cœur de Stephens City. Située dans un nouveau développement résidentiel, la parcelle K-3 est zonée NDD (voir pièce jointe dans les documents) et nécessite l'approbation de la ville de Stephens City.
4.71516 AC d'un terrain commercial au cœur de Stephens City. Située dans un nouveau développement résidentiel, la parcelle K-4 est zonée NDD (voir pièce jointe dans les documents) et nécessite l'approbation municipale de Stephens City
Faits sur la propriété
| Prix | 4 036 562 $ CAD | Sous-type de propriété | Terrain commercial |
| Type de vente | Investissement ou propriétaire utilisateur | Utilisation proposée | Commercial |
| Nombre de lots | 1 | Taille totale du lot | 26,44 AC |
| Type de propriété | Terrain | ||
| Zonage | NDD - District de développement de Newtown | ||
| Prix | 4 036 562 $ CAD |
| Type de vente | Investissement ou propriétaire utilisateur |
| Nombre de lots | 1 |
| Type de propriété | Terrain |
| Sous-type de propriété | Terrain commercial |
| Utilisation proposée | Commercial |
| Taille totale du lot | 26,44 AC |
| Zonage | NDD - District de développement de Newtown |
1 Lot disponible
Lot K-1;3,4
| Prix | 4 036 562 $ CAD | Taille du lot | 26,44 AC |
| Prix par AC | 152 668,75 $ CAD |
| Prix | 4 036 562 $ CAD |
| Prix par AC | 152 668,75 $ CAD |
| Taille du lot | 26,44 AC |
superficie totale de 26,44 NDD zonée AC (voir pièce jointe dans les documents) Situé dans un nouveau développement résidentiel et nécessite l'approbation de la ville de Stephens City.
1 1
1 de 4
Vidéos
Visite extérieure 3D Matterport
Visite 3D Matterport
Photos
Vue depuis la rue
Rue
Carte
1 de 1
Présenté par
0 Valley Pike - 3 Parcels Valley Pike
Vous êtes déjà membre? Connectez-vous
Hmm, il semble y avoir eu une erreur lors de l’envoi de votre message. Veuillez réessayer.
Merci! Votre message a été envoyé.
Votre message a été envoyé !
Activez votre compte LoopNet dès maintenant pour suivre les propriétés, recevoir des alertes en temps réel, gagner du temps sur vos demandes futures et bien plus encore.
