Se Connecter/S’inscrire
Votre courriel a été envoyé.
Certaines informations ont été traduites automatiquement.
Faits saillants de l'investissement
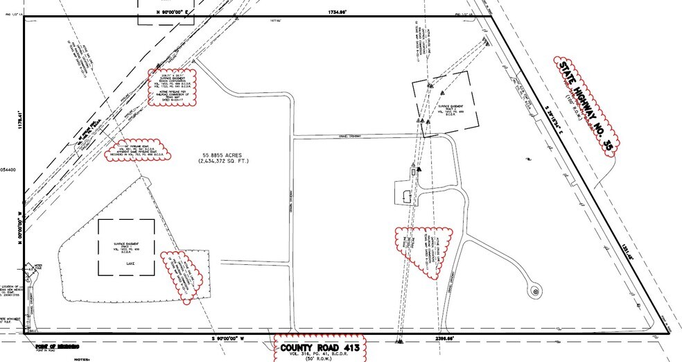
- This 55.89 acre undeveloped site is located on Highway 35 with access to County Road 413 & Dixie Farm Road in Pearland, TX.
- Any development on site must dedicate 120’ ROW for future acquisition from the City of Pearland, along with 0.65 acres for required detention.
- Pearland EDC has confirmed the tract is zoned for industrial use & development.
- The city of Pearland has plans to extend Dixie Farm Road, which will bisect the property entering through the North – NW corner of the tract.
Faits sur la propriété
| Type de vente | Investissement | Sous-type de propriété | Terrain commercial |
| Nombre de lots | 1 | Utilisation proposée | |
| Type de propriété | Terrain | Taille totale du lot | 55,89 AC |
| Zonage | I - Industrial | ||
| Type de vente | Investissement |
| Nombre de lots | 1 |
| Type de propriété | Terrain |
| Sous-type de propriété | Terrain commercial |
| Utilisation proposée | |
| Taille totale du lot | 55,89 AC |
| Zonage | I - Industrial |
1 Lot disponible
Lot
| Taille du lot | 55,89 AC |
| Taille du lot | 55,89 AC |
Description
Premises: 55.89 Acres (2,434,372 SF) Zoning: Industrial Floodplain: 55% Outside of the 100 & 500 Year Floodplain 45% Inside the 500 Year Floodplain Access: • 1,675 Feet Frontage on Highway 35 • 200 Feet from City Main • 1.3 Miles from Pearland High School
1 1
Plutôt praticable à pied
20/100
Exceptionnellement facile d’accès en voiture
100/100
Assez praticable en vélo
20/100
1 de 4
Vidéos
Visite extérieure 3D Matterport
Visite 3D Matterport
Photos
Vue depuis la rue
Rue
Carte
1 de 1
Présenté par
00 Highway 35
Vous êtes déjà membre? Connectez-vous
Hmm, il semble y avoir eu une erreur lors de l’envoi de votre message. Veuillez réessayer.
Merci! Votre message a été envoyé.



