Se Connecter/S’inscrire
Votre courriel a été envoyé.
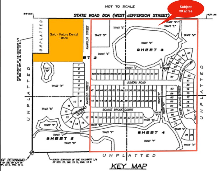
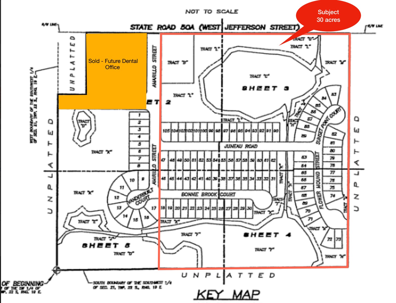
00 Jefferson St - Oakbrook Subdivision Parcel B Lot • Résidentiel • 30 Acres • 2 066 250 $ CAD • Brooksville, FL 34601



Certaines informations ont été traduites automatiquement.
Faits saillants de l'investissement
- heavy traffic
- investment opportunity
- prime RV camp ground location
Faits sur la propriété
1 Lot disponible
Lot
| Prix | 2 066 250 $ CAD | Taille du lot | 30,00 AC |
| Prix par AC | 68 875,00 $ CAD |
| Prix | 2 066 250 $ CAD |
| Prix par AC | 68 875,00 $ CAD |
| Taille du lot | 30,00 AC |
Previously Zoned for a Single Family Subdivision (Oakbrooke). Ideal location for an R.V. Park, Apartments, Charter School. Road Frontage:1,000 LF. Utilities: City Water & Sewer
Description
Previously Zoned for a Single Family Subdivision (Oakbrooke). Ideal location for an R.V. Park, Apartments, Charter School. Road Frontage:1,000 LF. Utilities: City Water & Sewer
1 1
Plutôt praticable à pied
30/100
Exceptionnellement facile d’accès en voiture
100/100
Transports en commun limités
30/100
Impraticable en vélo
10/100
1 de 10
Vidéos
Visite extérieure 3D Matterport
Visite 3D Matterport
Photos
Vue depuis la rue
Rue
Carte
1 de 1
Présenté par
00 Jefferson St - Oakbrook Subdivision Parcel B
Vous êtes déjà membre? Connectez-vous
Hmm, il semble y avoir eu une erreur lors de l’envoi de votre message. Veuillez réessayer.
Merci! Votre message a été envoyé.
