Se Connecter/S’inscrire
Votre courriel a été envoyé.
00 Passamaquoddy Ln Lot • Terrain industriel • 0,13 Acre • 444 720 $-444 720 $ CAD par lot • Eliot, ME 03903



Certaines informations ont été traduites automatiquement.
Résumé de l'annonce
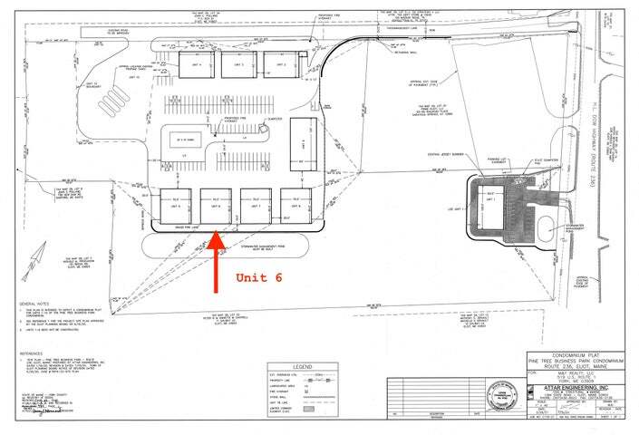
Only 2 lots left in the ever Growing Pine Tree Business Park!! The APPROVED Industrial/Warehouse/Mixed Retail Pad Units for sale conveniently located near I-95. Unit 6 Pad to include: a clean gravel pad site, 1,000 gallon septic, Kittery Town Water & sprinkler system hook up, collection box, transformer box, 3-phase electric, parking to be paved and loaded, landscaping in common areas, as well as separate gas tanks. 9 pads with a total of 50,000 SF are proposed- 4,800, 5,600, 6,000 & 7,200 SF options are also available. Pads 2-9 will contain commercial and industrial spaces for uses allowed in the Commercial/Industrial zone regulations of Eliot (a portion of the parcel is located within the limited commercial shoreland overlay district). The parcel as a whole is identified on the town of Eliot Tax Map 29 as Lot 31. Bring your commercial opportunity to Eliot's latest, Pine Tree Business Park! Seller will bring Town Sewer to the project pads. Buyer will be responsible for the expense to connect to the town sewer.
Faits sur la propriété
| Prix | 444 720 $ à 889 440 $ CAD | Type de propriété | Terrain |
| Type de vente | Investissement | Sous-type de propriété | Terrain industriel |
| Nombre de lots | 2 | Taille totale du lot | 0,26 AC |
| Prix | 444 720 $ à 889 440 $ CAD |
| Type de vente | Investissement |
| Nombre de lots | 2 |
| Type de propriété | Terrain |
| Sous-type de propriété | Terrain industriel |
| Taille totale du lot | 0,26 AC |
2 Lots disponibles
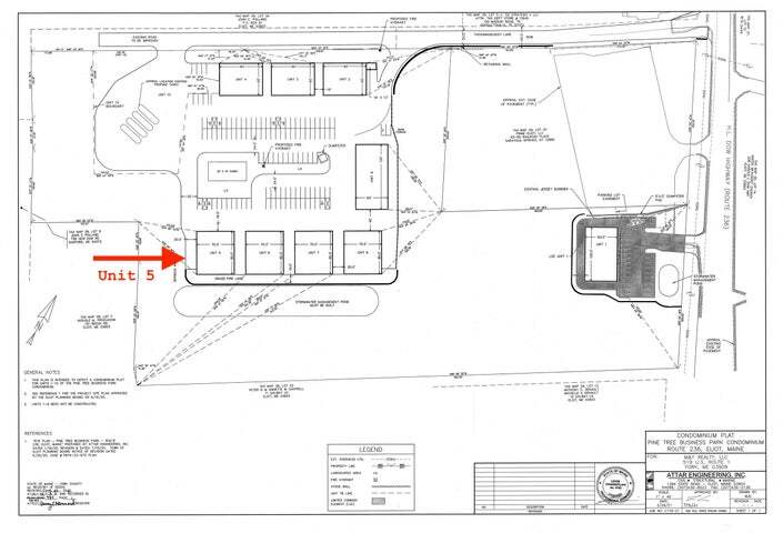
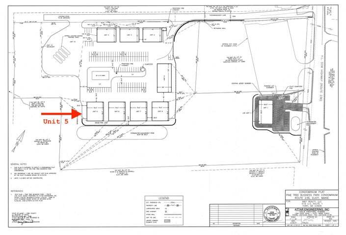
Lot 5
| Prix | 444 720 $ CAD | Taille du lot | 0,13 AC |
| Prix par AC | 3 420 922,16 $ CAD |
| Prix | 444 720 $ CAD |
| Prix par AC | 3 420 922,16 $ CAD |
| Taille du lot | 0,13 AC |
Only 2 lots left in the ever Growing Pine Tree Business Park!!
Lot 6
| Prix | 444 720 $ CAD | Taille du lot | 0,13 AC |
| Prix par AC | 3 420 922,16 $ CAD |
| Prix | 444 720 $ CAD |
| Prix par AC | 3 420 922,16 $ CAD |
| Taille du lot | 0,13 AC |
Only 2 lots left in the ever Growing Pine Tree Business Park!!
1 1
1 de 26
Vidéos
Visite extérieure 3D Matterport
Visite 3D Matterport
Photos
Vue depuis la rue
Rue
Carte
1 de 1
Présenté par
KW Coastal and Lakes & Mountains Realty/New Hampshire
00 Passamaquoddy Ln
Vous êtes déjà membre? Connectez-vous
Hmm, il semble y avoir eu une erreur lors de l’envoi de votre message. Veuillez réessayer.
Merci! Votre message a été envoyé.
Votre message a été envoyé !
Activez votre compte LoopNet dès maintenant pour suivre les propriétés, recevoir des alertes en temps réel, gagner du temps sur vos demandes futures et bien plus encore.
