Se Connecter/S’inscrire
Votre courriel a été envoyé.
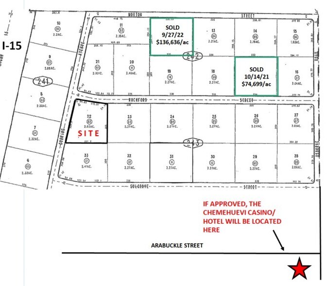
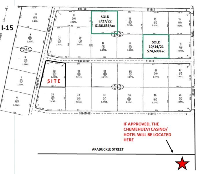
00 Rockford
Barstow, CA 92311
2.03 Acres SEC Rockford & Corning · Terrain À vendre
·
2,03 AC

Certaines informations ont été traduites automatiquement.
Faits sur la propriété
| Type de vente | Investissement | Utilisation proposée | Commercial |
| Nombre de lots | 1 | Taille totale du lot | 2,03 AC |
| Type de propriété | Terrain | Rues transversales | Corning |
| Sous-type de propriété | Terrain commercial | ||
| Zonage | Commercial - Commercial | ||
| Type de vente | Investissement |
| Nombre de lots | 1 |
| Type de propriété | Terrain |
| Sous-type de propriété | Terrain commercial |
| Utilisation proposée | Commercial |
| Taille totale du lot | 2,03 AC |
| Rues transversales | Corning |
| Zonage | Commercial - Commercial |
1 Lot disponible
Lot
| Prix | 276 909 $ CAD | Taille du lot | 2,03 AC |
| Prix par AC | 136 408,60 $ CAD |
| Prix | 276 909 $ CAD |
| Prix par AC | 136 408,60 $ CAD |
| Taille du lot | 2,03 AC |
Description
Situé à deux pâtés de maisons d'un hôtel/casino. La ville fournira des égouts et des services publics dans ce secteur d'ici deux ans, ce qui augmentera considérablement la valeur des propriétés.
Impôts fonciers
| Numéro de lot | 0421-243-02 | Évaluation des bâtiments | 0 $ CAD |
| Évaluation du terrain | 128 502 $ CAD | Évaluation totale | 128 502 $ CAD |
Impôts fonciers
Numéro de lot
0421-243-02
Évaluation du terrain
128 502 $ CAD
Évaluation des bâtiments
0 $ CAD
Évaluation totale
128 502 $ CAD
1 de 2
Vidéos
Visite extérieure 3D Matterport
Visite 3D Matterport
Photos
Vue depuis la rue
Rue
Carte
