Se Connecter/S’inscrire
Votre courriel a été envoyé.
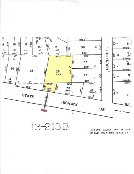
000 138 Hwy
Riverdale, GA 30274
Highway 138 - 2 Lots Sold Together · Terrain À vendre
·
1,06 AC


Certaines informations ont été traduites automatiquement.
Résumé de l'annonce
Terrain commercial, 0,16+/- Acres avec façade de l'autoroute 138 situé à côté des commerces et de la conv. Marché du gaz et des aliments sur la route 138 et le chemin Roundtree Le lot doit être vendu avec un lot commercial adjacent de 0,9+/-. Terrain adjacent de 1,06 +/- Acre avec maison disponible, nouveau point de zonage NMX avec raccordement aux égouts très proche. Nombre de trafic supérieur à 31 000 (2006) GDOT
De l'autoroute 19/41 Tara Blvd, tournez à droite sur l'éperon 138 Tournez à droite au GA-138 North Avenue Continuez de suivre GA-138- jusqu'à Rountree Rd. Propriété située à l'ouest du chemin Rountree, à droite.
De l'autoroute 19/41 Tara Blvd, tournez à droite sur l'éperon 138 Tournez à droite au GA-138 North Avenue Continuez de suivre GA-138- jusqu'à Rountree Rd. Propriété située à l'ouest du chemin Rountree, à droite.
Faits sur la propriété
| Type de vente | Investissement | Sous-type de propriété | Terrain commercial |
| Nombre de lots | 1 | Utilisation proposée | |
| Type de propriété | Terrain | Taille totale du lot | 1,06 AC |
| Zonage | NB | ||
| Type de vente | Investissement |
| Nombre de lots | 1 |
| Type de propriété | Terrain |
| Sous-type de propriété | Terrain commercial |
| Utilisation proposée | |
| Taille totale du lot | 1,06 AC |
| Zonage | NB |
1 Lot disponible
Lot Partial 01
| Prix | 171 099 $ CAD | Taille du lot | 1,06 AC |
| Prix par AC | 161 413,92 $ CAD |
| Prix | 171 099 $ CAD |
| Prix par AC | 161 413,92 $ CAD |
| Taille du lot | 1,06 AC |
1 de 7
Vidéos
Visite extérieure 3D Matterport
Visite 3D Matterport
Photos
Vue depuis la rue
Rue
Carte
