Votre courriel a été envoyé.
000 Peters Creek Pky - Peters Creek Pky at Brannigan Village Lot • Terrain commercial • 15,67 Acres • 2 588 085 $ CAD • Winston-Salem, NC 27127

Certaines informations ont été traduites automatiquement.
Faits saillants de l'investissement
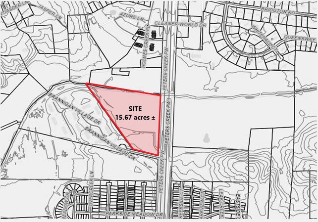
- Situé le long de la promenade très fréquentée du ruisseau Peters, offrant une exposition et une accessibilité de premier ordre.
- 2,4 acres de terrain nivelé prêts à être aménagés immédiatement ; des terrains constructibles supplémentaires sont possibles avec un remblai supplémentaire.
- En face du parcours de golf Wilshire, offrant un environnement attrayant.
- Positionné à l'intersection de la promenade du ruisseau Peters et de la promenade Brannigan Village, améliorant la connectivité.
- La superficie restante se trouve dans une plaine inondable, mais offre un potentiel de développement futur avec des mesures d'atténuation appropriées.
- Positionné dans une zone souhaitable au sud de Winston-Salem, répondant à la demande commerciale et récréative.
Résumé de l'annonce
Côté sud de Winston-Salem avec une excellente visibilité le long de la promenade du ruisseau Peters. En face du terrain de golf Wilshire.
Faits sur la propriété
1 Lot disponible
Lot 1
| Prix | 2 588 085 $ CAD | Taille du lot | 15,67 AC |
| Prix par AC | 165 161,77 $ CAD |
| Prix | 2 588 085 $ CAD |
| Prix par AC | 165 161,77 $ CAD |
| Taille du lot | 15,67 AC |
Propriété commerciale à visibilité privilégiée sur la promenade du ruisseau Peters. 2,4+/- acres constructibles, niveau à l'intersection du ruisseau Peters et du village de Brannigan Dr. Terrain constructible supplémentaire possible avec remblai ; repos dans la plaine inondable. BROCHE 6822-66-5974. (propriétaire/
Description
Cette propriété commerciale offre une occasion idéale de développement sur le côté sud de Winston-Salem, avec 2,4 acres de terrain constructible immédiatement disponibles. L'emplacement privilégié de la propriété le long de la promenade du ruisseau Peters offre une excellente visibilité et une excellente accessibilité. Bien qu'une grande partie du terrain se trouve à l'intérieur d'une plaine inondable, la partie des hautes terres est prête à être aménagée, avec la possibilité d'agrandir la zone constructible grâce à un remblayage supplémentaire.
Présenté par
000 Peters Creek Pky - Peters Creek Pky at Brannigan Village
Hmm, il semble y avoir eu une erreur lors de l’envoi de votre message. Veuillez réessayer.
Merci! Votre message a été envoyé.
