Votre courriel a été envoyé.
Certaines informations ont été traduites automatiquement.
Faits saillants de l'investissement
- Princeton se classe parmi les cinq villes à la croissance la plus rapide du pays en 2024.
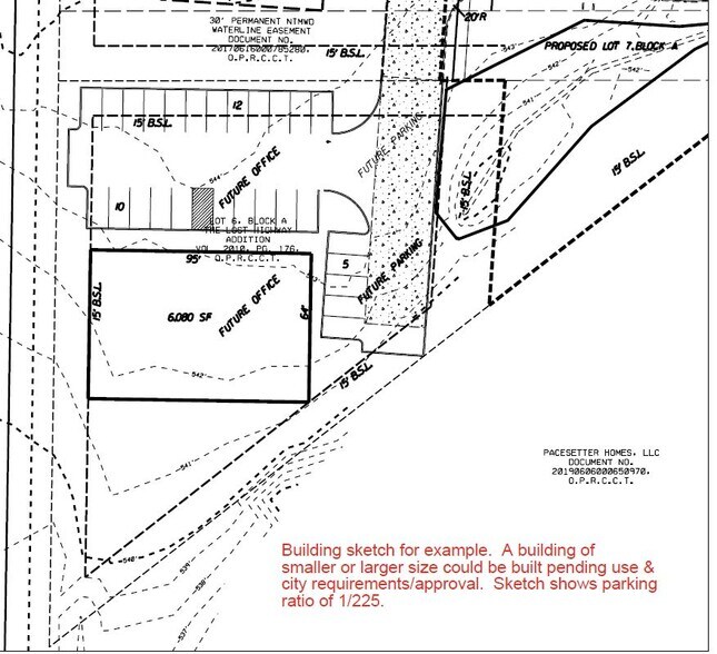
- Un bâtiment d'environ 6 080 p2 peut être aménagé avec 27 places de stationnement
- Besoin d'activités médicales, professionnelles et liées aux enfants
- Le revenu moyen des ménages à Princeton est de 105 589$ - worldpopulationreview.com
- Croissance résidentielle énorme
- La population a augmenté de 103 % au cours des 10 dernières années et la population actuelle est de 31 523 selon worldpopulationreview.com
Résumé de l'annonce
Plus de 36 000 véhicules par jour le long de 380 véhicules
Croissance de la population de 103 % au cours des 10 dernières années.
Manque de bâtiments médicaux et professionnels dans la région.
Le terrain est actuellement entouré de commerces, de restaurants et de bureaux.
Le propriétaire peut construire sur une propriété, ce qui en fait une opération clé en personne.
*Cette annonce est pour les terres seulement*
Faits sur la propriété
| Prix | 487 494 $ CAD | Sous-type de propriété | Terrain commercial |
| Type de vente | Investissement ou propriétaire utilisateur | Utilisation proposée | Commercial |
| Nombre de lots | 1 | Taille totale du lot | 0,74 AC |
| Type de propriété | Terrain | ||
| Zonage | C - Commerciale | ||
| Prix | 487 494 $ CAD |
| Type de vente | Investissement ou propriétaire utilisateur |
| Nombre de lots | 1 |
| Type de propriété | Terrain |
| Sous-type de propriété | Terrain commercial |
| Utilisation proposée | Commercial |
| Taille totale du lot | 0,74 AC |
| Zonage | C - Commerciale |
1 Lot disponible
Lot 6
| Prix | 487 494 $ CAD | Taille du lot | 0,74 AC |
| Prix par AC | 659 663,56 $ CAD |
| Prix | 487 494 $ CAD |
| Prix par AC | 659 663,56 $ CAD |
| Taille du lot | 0,74 AC |
Terrain à niveaux vacants
Description
Emplacement exceptionnel situé dans le district commercial général C2 de Princeton, Tx., offrant une grande variété d'usages au-delà du commerce de détail, médical ou de bureau. Plus de 36 000 véhicules par jour le long de la route 380. Croissance démographique de 103 % au cours des 10 dernières années. Manque de bâtiments médicaux et professionnels dans la région. Le terrain est entouré de commerces, restaurants et bureaux actuellement. Le propriétaire peut construire sur le terrain, en faisant une opération clé en main. *Cette annonce concerne uniquement le terrain.*
Impôts fonciers
| Numéro de lot | R-9620-00A-0060-1 | Évaluation des bâtiments | 0 $ CAD |
| Évaluation du terrain | 356 737 $ CAD | Évaluation totale | 356 737 $ CAD |
Impôts fonciers
Présenté par
0000 Princeton Dr
Hmm, il semble y avoir eu une erreur lors de l’envoi de votre message. Veuillez réessayer.
Merci! Votre message a été envoyé.



