Votre courriel a été envoyé.
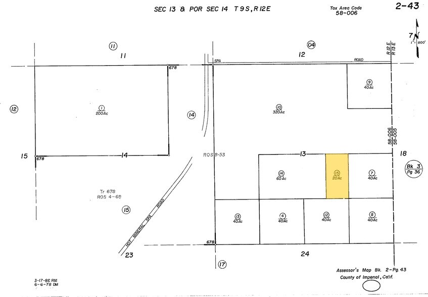
002-430-015-000
Niland, CA 92257
+/-20 AC Imperial County Zoning S-1-RE · Terrain À vendre
·
20,39 AC


Certaines informations ont été traduites automatiquement.
FAITS SUR LA PROPRIÉTÉ
| Type de vente | Investissement | Sous-type de propriété | Ferme |
| Nombre de lots | 1 | Taille totale du lot | 20,39 AC |
| Type de propriété | Terrain |
| Type de vente | Investissement |
| Nombre de lots | 1 |
| Type de propriété | Terrain |
| Sous-type de propriété | Ferme |
| Taille totale du lot | 20,39 AC |
1 LOT DISPONIBLE
Lot
| Prix | 42 112 $ CAD | Taille du lot | 20,39 AC |
| Prix par AC | 2 065,33 $ CAD |
| Prix | 42 112 $ CAD |
| Prix par AC | 2 065,33 $ CAD |
| Taille du lot | 20,39 AC |
COORDONNÉES GPS DE LA TERRE 33.388653, -115.669723
DESCRIPTION
Il n'y a pas d'adresse ou de nom de rue associé à cette parcelle. Ce qui est reflété, c'est la parcelle 002-430-015-000 qui est de +/-20 acres. Le zonage est S-1-RE (OpenSpace Recreation). Situé dans le comté non incorporé d'Imperial, près de Niland. E. 1/2 du N.W. 1/4 de S.E. 1/4 de la section 13, canton 9 Sud, rang 12 Est, S.B.M., selon le plan d'arpentage officiel du gouvernement des États-Unis approuvé et déposé au United States Land Office à Los Angeles (Californie), dans la zone non constituée en municipalité, comté d'Imperial, État de Californie. À l'exception de la moitié de la participation dans et sur l'ensemble du pétrole, du gaz, de l'or, de l'argent et d'autres métaux précieux, minéraux et substances minérales qui se trouvent et qui peuvent être produits à partir de ces terres, tel qu'il a été transmis dans l'acte en date du 23 août 1957 à la State Oil Company, une cosociété en commandite, et consigné le 26 février 1958 dans le livre 986, à la page 293 des Documents officiels. PIQ est au nord-est de Bombay Beach. Au sud-est du chemin Hot Mineral Spa et du chemin Spa à +/- 3 043 pi au sud du spa Fountain Of Youth. +/- 1,14 milles au nord de l'autoroute 111. Vous pouvez être propriétaire de ce terrain sans HOA. Il y a des spas Hot Mineral dans la région.
Impôts fonciers
| Numéro de lot | 002-430-015-000 | Évaluation des bâtiments | 0 $ CAD |
| Évaluation du terrain | 4 658 $ CAD | Évaluation totale | 4 658 $ CAD |
