Votre courriel a été envoyé.
Certaines informations ont été traduites automatiquement.
Résumé de l'annonce
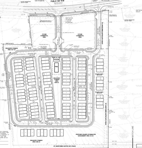
Located directly in front of a new 107-lot single-family residential community. Resi-built is building curb cuts, grading, and internal spine road as part of their development
Sewer & water available approx. 25 ft from Browns Bridge Rd with power overhead along frontage
Two monument sign locations secured via recorded easement
Strong visibility & direct access on Browns Bridge Rd
Faits sur la propriété
| Prix | 822 324 $ CAD | Type de propriété | Terrain |
| Type de vente | Investissement ou propriétaire utilisateur | Sous-type de propriété | Terrain commercial |
| Nombre de lots | 1 | Taille totale du lot | 0,95 AC |
| Zonage | CN - Commercial | ||
| Prix | 822 324 $ CAD |
| Type de vente | Investissement ou propriétaire utilisateur |
| Nombre de lots | 1 |
| Type de propriété | Terrain |
| Sous-type de propriété | Terrain commercial |
| Taille totale du lot | 0,95 AC |
| Zonage | CN - Commercial |
1 Lot disponible
Lot
| Prix | 822 324 $ CAD | Taille du lot | 0,95 AC |
| Prix par AC | 865 604,22 $ CAD |
| Prix | 822 324 $ CAD |
| Prix par AC | 865 604,22 $ CAD |
| Taille du lot | 0,95 AC |
Description
±2,78 acres répartis sur deux parcelles • Parcelle 1 : ±1,00 acre – 600 000 $ • Parcelle 2 : ±1,78 acre – 850 000 $ Le vendeur est ouvert à la négociation si les deux parcelles sont acquises ensemble Situé directement en face d'une nouvelle communauté résidentielle de 107 lots pour maisons unifamiliales. Resi-built construit des accès de trottoir, des nivellements et une route principale interne dans le cadre de leur développement Égouts et eau disponibles à environ 25 pieds de Browns Bridge Rd avec alimentation électrique aérienne le long de la façade Deux emplacements pour panneaux monument sécurisés via une servitude enregistrée Forte visibilité et accès direct sur Browns Bridge Rd Convient pour Commerce de détail | Restauration rapide | Médical | Service | Commerce de quartier
Présenté par
1 AC - Brown Bridge rd
Hmm, il semble y avoir eu une erreur lors de l’envoi de votre message. Veuillez réessayer.
Merci! Votre message a été envoyé.



