Se Connecter/S’inscrire
Votre courriel a été envoyé.
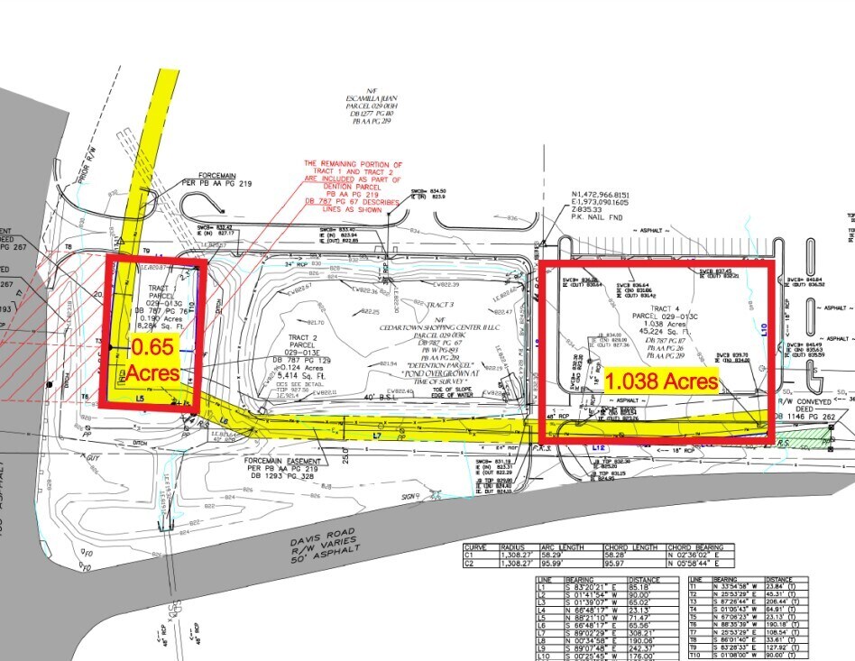
1 Davis Rd
Cedartown, GA 30125
Terrain À louer

Certaines informations ont été traduites automatiquement.
Faits saillants
- 0,65 acre disponible à bail foncier sur la route 27 et 1,038 acre disponible à la vente sur le chemin Davis.
- Plus de 15 000 VPD
Aperçu de la propriété
Les colis offrent une excellente visibilité et une proximité étroite avec des détaillants solides, dont Home Depot, Walmart, Tractor Supply, McDonald's, Wendy's et un nouveau Chick-fil-A récemment annoncé.
Faits sur la propriété
| Superficie totale disponible | 1,03 AC | Sous-type de propriété | Terrain commercial |
| Type de propriété | Terrain |
| Superficie totale disponible | 1,03 AC |
| Type de propriété | Terrain |
| Sous-type de propriété | Terrain commercial |
1 de 2
Vidéos
Visite extérieure 3D Matterport
Visite 3D Matterport
Photos
Vue depuis la rue
Rue
Carte
