Votre courriel a été envoyé.
10 Avon St - 2025 Strong Rent Increases - High Demand Lot • Résidentiel • 6,6 Acres • Lewiston, ME 04240



Certaines informations ont été traduites automatiquement.
Faits saillants de l'investissement
- 244 unités - Entièrement approuvées - Développement - Taux du marché de 100 %
- Procès-verbaux des principaux centres médicaux, Bates College, I-95 et Rte 202
- Forte demande de logements
- 800 pieds surplombant la rivière Androscoggin
- Financement par augmentation d'impôt TIF admissible à une réduction de 63 % sur 20 ans
- Emploi : plus de 3 000 emplois locaux dans le domaine de la santé
Résumé de l'annonce
OPPORTUNITÉ : - Approbations et travaux préalables au développement terminés - Croissance démographique — Plus du double du rythme de l'État - Forte demande de logements - Emploi : plus de 3 000 emplois locaux dans les soins de santé - Population : Deuxième ville du Maine - TIF - Financement par augmentation d'impôt : Réduction fiscale de 63 % sur 20 ans - Financement attrayant possible avec les banques locales et régionales
EMPLACEMENT : - Excellent accès à l'autoroute : à quelques minutes de l'I-95 - Proximité : - Centre médical central du Maine (CMMC) - Centre régional de santé St. Mary's - Collège Bates - Revitalisation planifiée du bord de la rivière de la ville - directement de l'autre côté de la rivière d'Auburn
Faits sur la propriété
1 Lot disponible
Lot
| Taille du lot | 6,60 AC |
| Taille du lot | 6,60 AC |
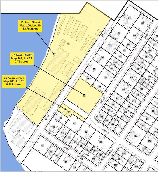
- Taille totale du lot : 6.6 AC - 3 parcelles -10, 35 et 37 Avon St Lewiston, ME - Permis pour les unités résidentielles : 244 - Taux du marché : 100 % - Façades : 800 pieds surplombant la rivière Androscoggin
Description
244 unités résidentielles approuvées et autorisées - Taux du marché de 100 % - Situées le long de la rivière Androscoggin en face d'Auburn à Lewiston, Maine. Financement supplémentaire d'impôt TIF admissible à une réduction d'impôt de 63 % sur 20 ans - Forte demande de logements - Proximité de 2 grands centres médicaux - CMMC. Centre médical central du Maine et St. Mary's Regional - Près du Bates College et près du projet de revitalisation du secteur riverain prévu de la ville - Financement attrayant possible avec les banques locales et régionales
Impôts fonciers
| Numéros de lot | Évaluation des bâtiments | 0 $ CAD | |
| Évaluation du terrain | 458 525 $ CAD | Évaluation totale | 458 525 $ CAD |
Impôts fonciers
Présenté par
10 Avon St - 2025 Strong Rent Increases - High Demand
Hmm, il semble y avoir eu une erreur lors de l’envoi de votre message. Veuillez réessayer.
Merci! Votre message a été envoyé.

