Se Connecter/S’inscrire
Votre courriel a été envoyé.
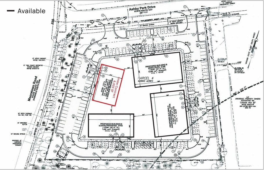
100 Ashby Park Dr
Williamsburg, VA 23188
D · Bureau Propriété À vendre
·
7 200 pi²


Certaines informations ont été traduites automatiquement.
Faits saillants de l'investissement
- Zoned EO, supporting office, retail, and light industrial uses
- Strong demographics with $99K+ average household income
- Just 1 mile to I-64 and 2.1 miles to Route 199
- Experienced local developer with proven track record
- Prime visibility with 170’ frontage on Mooretown Road
1 Unité disponible
Unité D
| Taille de l’unité | 7 200 pi² | Type de vente | Investissement ou propriétaire utilisateur |
| Utilisation du condo | Bureau | ID/Numéro de lot | C18A-1465-3836 |
| Taille de l’unité | 7 200 pi² |
| Utilisation du condo | Bureau |
| Type de vente | Investissement ou propriétaire utilisateur |
| ID/Numéro de lot | C18A-1465-3836 |
Description
Ashby Business Park presents a rare opportunity to own customizable commercial space in one of Williamsburg’s most strategically positioned developments. Located at 100 Ashby Park Drive, this new office and retail condominium project offers build-to-suit options ranging from 1,800 to 14,000 square feet, ideal for owner-users or investors seeking long-term value in a high-growth corridor. The site benefits from prime visibility along Mooretown Road, with 170 feet of frontage and two ingress/egress points, ensuring seamless access for clients and employees.
Faits sur la propriété
Les caractéristiques suivantes s'appliquent à l'ensemble du bâtiment. Les détails relatifs aux unités de copropriété individuelles peuvent varier et figurent dans les informations concernant les unités ci-dessus.
| Taille totale du bâtiment | 7 200 pi² | Planchers | 1 |
| Type de propriété | Bureau (Condo) | Superficie de plancher typique | 7 200 pi² |
| Classe d’immeuble | B | Taille du lot | 4,08 AC |
| Zonage | ECONOMIC O | ||
| Taille totale du bâtiment | 7 200 pi² |
| Type de propriété | Bureau (Condo) |
| Classe d’immeuble | B |
| Planchers | 1 |
| Superficie de plancher typique | 7 200 pi² |
| Taille du lot | 4,08 AC |
| Zonage | ECONOMIC O |
1 de 6
Vidéos
Visite extérieure 3D Matterport
Visite 3D Matterport
Photos
Vue depuis la rue
Rue
Carte
