Votre courriel a été envoyé.
Certaines informations ont été traduites automatiquement.
RÉSUMÉ DE L'ANNONCE
FAITS SUR LA PROPRIÉTÉ
1 LOT DISPONIBLE
Lot
| Prix | 380 850 $ CAD | Taille du lot | 79,00 AC |
| Prix par AC | 4 820,89 $ CAD |
| Prix | 380 850 $ CAD |
| Prix par AC | 4 820,89 $ CAD |
| Taille du lot | 79,00 AC |
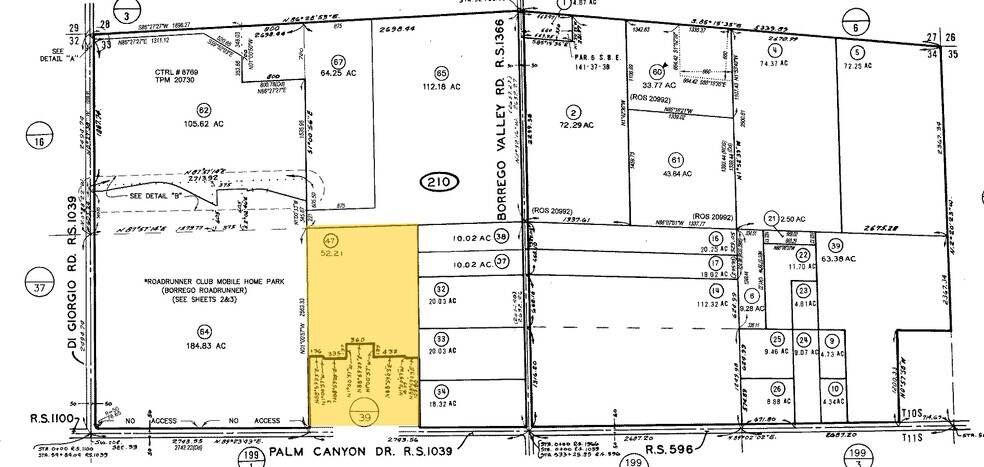
La propriété offerte comprend environ 79 acres de terrain plat le long de la promenade Palm Canyon à Borrego Springs, en Californie, dans le nord-est du comté de San Diego.
DESCRIPTION
La propriété se compose d'une partie nord, d'environ 48 acres, sans améliorations existantes et d'une partie sud, d'environ 48 acres 31 acres, qui a des droits et une carte finale du comté de San Diego. La carte comprend 95 lots unifamiliaux, 2 lots de rue privés et 5 lots récréatifs. Voir la page suivante pour la carte des parcelle du SD. Le service d'aqueduc et d'égout sera assuré par le Borrego Springs Water District, et l'électricité sera fournie par San Diego Gas & Electric. De plus, il existe une solution de rechange potentielle pour l'aménagement d'une installation solaire de services publics. Renseignements sur le zonage : Le plan général de désignation de l'utilisation des terres pour la partie admissible est « Village résidentiel 4.3 ». Cela permet une densité résidentielle maximale de 4,3 unités d'habitation/acre. La partie nord non admissible de la propriété a une désignation d'utilisation des terres de Village Residential 2. Cela est semblable à la partie sud, mais ne permet qu'un maximum de 2,0 unités d'habitation/acre.
Impôts fonciers
| Numéros de lot | Évaluation des bâtiments | 0 $ CAD | |
| Évaluation du terrain | 153 330 $ CAD | Évaluation totale | 153 330 $ CAD |
Impôts fonciers
Présenté par
1000 Palm Canyon Dr
Hmm, il semble y avoir eu une erreur lors de l’envoi de votre message. Veuillez réessayer.
Merci! Votre message a été envoyé.




