Se Connecter/S’inscrire
Votre courriel a été envoyé.
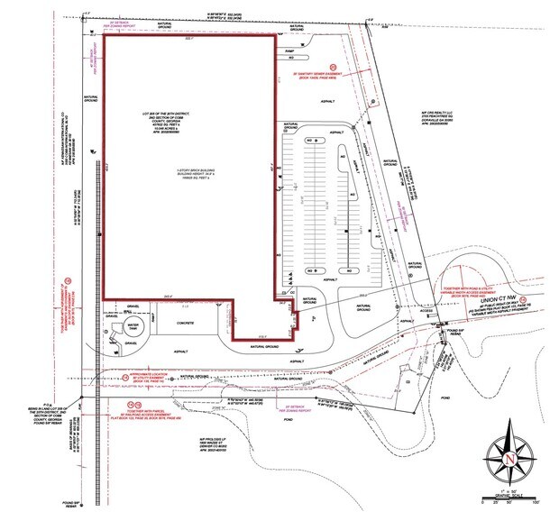
1000 Union Ct
Kennesaw, GA 30152
Industriel Propriété À louer
·
82 913 pi²


Certaines informations ont été traduites automatiquement.
Faits saillants
- Système CVC complet en entrepôt pour maintenir 55 °F
- 800 A, 480 V, alimentation triphasée
Caractéristiques
Hauteur libre
30’
Espacement des colonnes
40’ x 43’
Baies d’entrée
1
Places de stationnement standard
121
Aperçu de la propriété
» 82 913 — 173 587 SF Disponible à la location » 9 190, 1 700 et 600 pieds pi2 de zones de fice » Espacement des colonnes de 40 pi 2 po x 43 pi 4 po type » Seize (16) portes hautes du quai » Une (1) porte au volant Hauteur du plafond clair de 22 pi à 30 pi » Système CVC complet en entrepôt pour maintenir 55°F » 800 ampères, 480 V, alimentation triphasée » 121 Espaces automobiles
Faits sur l’installation Distribution
Taille du bâtiment
173 587 pi²
Taille du lot
10,01 AC
Année de construction
1989
Construction
Maçonnerie
Alimentation électrique
Ampères: 800 Phase: 3
Zonage
HI
1 de 7
Vidéos
Visite extérieure 3D Matterport
Visite 3D Matterport
Photos
Vue depuis la rue
Rue
Carte
