Se Connecter/S’inscrire
Votre courriel a été envoyé.
Chase Bank 1002 Brighton Beach Ave 16 900 pi² Commerce de détail Immeuble Brooklyn, NY 11235 35 485 800 $ CAD (2 099,75 $ CAD/pi²) 4,76% Taux de capitalisation



Certaines informations ont été traduites automatiquement.
FAITS SAILLANTS DE L'INVESTISSEMENT
- LEASE GUARANTEED: Lease currently guaranteed by Chase, the largest bank chain in the United States with over $4.357 trillion in assets
- STRATEGIC LOCATION: Strategically located at a four-way signalized intersection with over 24,500 VPD, steps from the Brighton Beach subway stop (B,Q)
- BRANCH DEPOSITS: Branch holds $714,805,000 in deposits as of 6/30/2024
- FUTURE DEVELOPMENT: Paused application for rezoning when Chase lease was signed that could bring the total buildable square footage up to 170,000 SF
RÉSUMÉ DE L'ANNONCE
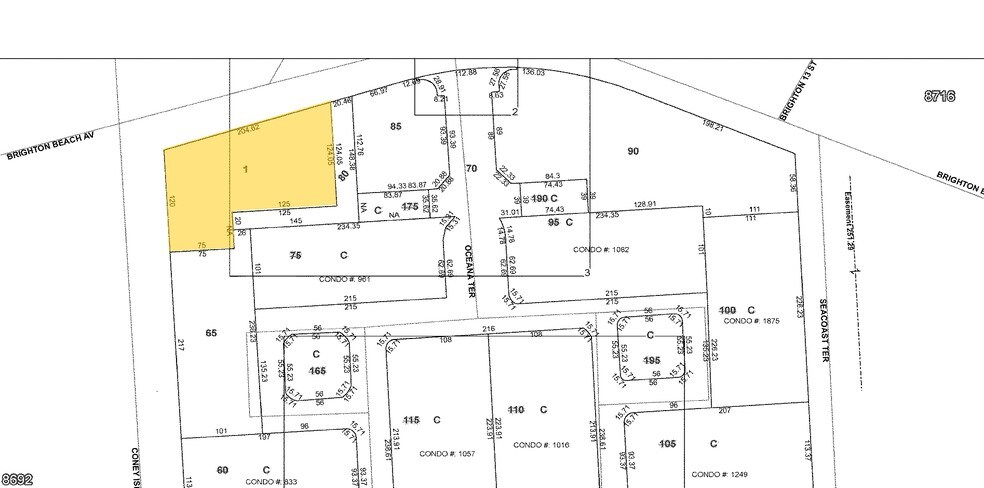
Rare opportunity to acquire a Chase Bank on a 23,479 SF lot with 21 on-site parking spaces in the Brighton Beach neighborhood of Brooklyn, NY. Chase extended the lease for 10 years starting 1/1/2023 with no options to renew thereafter with 9% rent increases every three years throughout the term, with the last increase lasting 4 years through the end of the lease.
FAITS SUR LA PROPRIÉTÉ
Type de vente
Investissement pour loyer hypernet
Type de propriété
Commerce de détail
Sous-type de propriété
Taille du bâtiment
16 900 pi²
Classe d’immeuble
C
Année de construction
1942
Prix
35 485 800 $ CAD
Prix par pi²
2 099,75 $ CAD
Taux de capitalisation
4,76%
Revenu net d’exploitation
1 687 802 $ CAD
Location
Unique
Hauteur du bâtiment
1 étage
Coefficient d’occupation des sols de l’immeuble
0,72
Taille du lot
0,54 AC
Zonage
R6, C1-2 & R7-1, C2-4 - COS résidentiel = 2,43, COS équipement = 4,8, portant la superficie maximale autorisée à 112 435 pi². Le projet de rezonage en attente pourrait permettre une superficie constructible de 170 000 pi².
Stationnement
21 places (1,24 places par 1 000 pi² loué)
Façade
194’ sur Brighton Beach Ave
COMMODITÉS
- Intersection avec signalisation
Walk Score®
Un paradis pour un marcheur (98)
Transit Score®
Excellent transport en commun (85)
PRINCIPAUX DÉTAILLANTS À PROXIMITÉ
Impôts fonciers
| Numéro de lot | 08720-0001 | Évaluation des bâtiments | 2 650 163 $ CAD |
| Évaluation du terrain | 1 029 506 $ CAD | Évaluation totale | 3 679 669 $ CAD |
Impôts fonciers
Numéro de lot
08720-0001
Évaluation du terrain
1 029 506 $ CAD
Évaluation des bâtiments
2 650 163 $ CAD
Évaluation totale
3 679 669 $ CAD
1 de 4
VIDÉOS
VISITE EXTÉRIEURE 3D MATTERPORT
VISITE 3D MATTERPORT
PHOTOS
VUE DEPUIS LA RUE
RUE
CARTE
Présenté par
Chase Bank | 1002 Brighton Beach Ave
Vous êtes déjà membre? Connectez-vous
Hmm, il semble y avoir eu une erreur lors de l’envoi de votre message. Veuillez réessayer.
Merci! Votre message a été envoyé.
