Se Connecter/S’inscrire
Votre courriel a été envoyé.
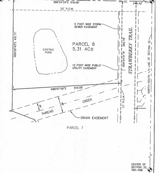
10020 Strawberry Trl Lot • Terrain commercial • 5,31 Acres • 246 435 $ CAD • Goodrich, MI 48438


Certaines informations ont été traduites automatiquement.
Faits saillants de l'investissement
- Cette propriété dispose d'un généreux terrain de 5,31 acres, offrant suffisamment d'espace pour diverses utilisations
- Situé dans un quartier serein, parfait pour construire une maison de rêve ou un immeuble de placement
- Équipé de services publics de gaz et d'électricité, ce qui le rend prêt pour le développement
Résumé de l'annonce
PARCELLE SPECTACULAIRE DE PLUS DE 5 ACRES AVEC UN IMMENSE ÉTANG PITTORESQUE ! ROUTE GOUDRONNÉE, GAZ NATUREL, RESTRICTIONS POUR PROTÉGER VOTRE INVESTISSEMENT ! DES ÉCOLES DE QUALITÉ ET DE QUALITÉ, UN ACCÈS FACILE AU GRAND BLANC ET À L'I-75. LES MODALITÉS DU CONTRAT FONCIER SONT DISPONIBLES. VENEZ CONSTRUIRE VOTRE SUCCESSION ICI !
Faits sur la propriété
| Prix | 246 435 $ CAD | Sous-type de propriété | Terrain commercial |
| Type de vente | Investissement | Utilisation proposée | Devanture résidentielle/commerce de détail |
| Nombre de lots | 1 | Taille totale du lot | 5,31 AC |
| Type de propriété | Terrain | ||
| Zonage | RA - Agriculture résidentielle | ||
| Prix | 246 435 $ CAD |
| Type de vente | Investissement |
| Nombre de lots | 1 |
| Type de propriété | Terrain |
| Sous-type de propriété | Terrain commercial |
| Utilisation proposée | Devanture résidentielle/commerce de détail |
| Taille totale du lot | 5,31 AC |
| Zonage | RA - Agriculture résidentielle |
1 Lot disponible
Lot
| Prix | 246 435 $ CAD | Taille du lot | 5,31 AC |
| Prix par AC | 46 409,56 $ CAD |
| Prix | 246 435 $ CAD |
| Prix par AC | 46 409,56 $ CAD |
| Taille du lot | 5,31 AC |
Description
SPECTACULAIRE PARCELLE DE 5+ ACRES AVEC IMMENSE ÉTANG PITTORESQUE ! ROUTE ASPHALTÉE, GAZ NATUREL, RESTRICTIONS POUR PROTÉGER VOTRE INVESTISSEMENT ! DES ÉCOLES GOODRICH DE QUALITÉ, UN ACCÈS FACILE AU GRAND BLANC ET À L'I-75. LES MODALITÉS DU CONTRAT FONCIER SONT DISPONIBLES. VENEZ BÂTIR VOTRE DOMAINE ICI !
1 1
Impraticable à pied
10/100
Exceptionnellement facile d’accès en voiture
100/100
Assez praticable en vélo
20/100
1 de 3
Vidéos
Visite extérieure 3D Matterport
Visite 3D Matterport
Photos
Vue depuis la rue
Rue
Carte
1 de 1
Présenté par
10020 Strawberry Trl
Vous êtes déjà membre? Connectez-vous
Hmm, il semble y avoir eu une erreur lors de l’envoi de votre message. Veuillez réessayer.
Merci! Votre message a été envoyé.
