Se Connecter/S’inscrire
Votre courriel a été envoyé.
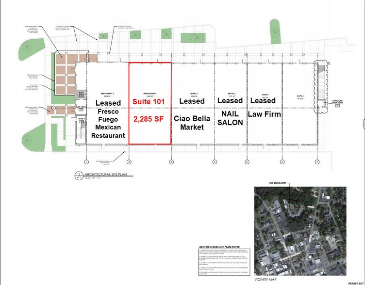
1009 Northside Dr
Perry, GA 31069
Chalet Lofts · Bureau/Commerce de détail Propriété À louer
·
2 285 pi²


Certaines informations ont été traduites automatiquement.
Faits saillants
- 12 Loft au-dessus
Faits sur la propriété
| Superficie totale disponible | 2 285 pi² | Superficie commerciale brute | 23 642 pi² |
| Type de propriété | Commerce de détail | Année de construction | 2024 |
| Sous-type de propriété | Commerce pied immeuble |
| Superficie totale disponible | 2 285 pi² |
| Type de propriété | Commerce de détail |
| Sous-type de propriété | Commerce pied immeuble |
| Superficie commerciale brute | 23 642 pi² |
| Année de construction | 2024 |
À propos de la propriété
Les Chalets Lofts avec 2 285 à 4 593 SF disponibles au centre-ville de Perry. (Locaux commerciaux et bureaux)
1 de 3
Vidéos
Visite extérieure 3D Matterport
Visite 3D Matterport
Photos
Vue depuis la rue
Rue
Carte
