Votre courriel a été envoyé.
Certaines informations ont été traduites automatiquement.
DISPONIBILITÉ DE L’ESPACE (1)
Afficher les taux de location en
- ESPACE
- TAILLE
- TERME
- TAUX DE LOCATION
- TYPE DE LOYER
| Espace | Taille | Terme | Taux de location | Type de loyer | ||
| 1er étage | 3 000 à 30 000 pi² | Négociable | Sur demande Sur demande Sur demande Sur demande | À déterminer |
1er étage
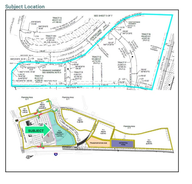
Prime Retail Opportunity at Dawson Trails – Castle Rock , CO Discover an exceptional opportunity to secure premium retail space in one of Colorado's fastest-growing markets. Located at the southwest corner of Ike Street and Costco Lane in Castle Rock, Dawson Trails Tracts N, Q, and S encompass . acres (, SF) of prime commercial land within an approved Planned Development (PD) zone. This super pad site is strategically positioned for maximum visibility and is directly accessible from the new interchange at I- and Crystal Valley. It is adjacent to a proposed Costco Wholesale warehouse, set for estimated completion in Q —a proven traffic magnet that will drive thousands of daily shoppers directly to your doorstep. Unmatched Location and Accessibility Situated just north of the under-construction Interstate interchange at Crystal Valley Parkway/Territorial Road (anticipated completion Q ), providing seamless regional connectivity for customers from Denver, Colorado Springs, and beyond. Direct access via proposed roadways and shared parking with the adjacent Costco, ensuring high foot traffic and convenience. Part of the expansive Dawson Trails Planned Development, with utilities (water/sewer from the Town of Castle Rock) and public roadways extended to the site at no cost to tenants – ready for efficient build-out of multi-tenant retail spaces. Thriving Market and Growth Potential Surrounded by explosive residential and commercial expansion: The nearby Crystal Valley Parkway area is approved for , new homes and . million square feet of additional retail, fueling long-term demand. Affluent demographics in a -mile radius: population of , (projected to grow to , by ), median household income of $,, and average household income of $, – ideal for national retailers targeting high-spending consumers. Stable and recovering retail market: The Denver metro area shows positive net absorption (projected , SF by end of in the Southeast Outlying submarket) with occupancy rates at .% and asking rents rising to $./SF by . Development-Ready for National Tenants This site is zoned for development into flexible, multi-tenant retail spaces available for lease or sale – perfect for big-box anchors, dining concepts, or specialty retailers. This development will be offered for pre-leasing currently to lock a location next to the newest Costco in Colorado. Highest and best use identified as retail development, capitalizing on the site's proximity to Costco and the new I- interchange for unparalleled exposure in a high-growth corridor. Position your brand at the heart of Castle Rock's retail renaissance. With Costco's draw, superior demographics, and infrastructure advantages, Dawson Trails offers a rare chance to capture market share in a burgeoning trade area. Contact us today to explore leasing opportunities and be part of this dynamic retail destination!
Types de loyers
Le type et le montant du loyer que le locataire (preneur) est tenu de payer au propriétaire (bailleur) sur la durée du bail sont négociés avant la signature du bail par les deux parties. Le type de loyer varie selon les services fournis. Par exemple, le prix d’un loyer hypernet est habituellement inférieur à celui d’un bail à service complet puisque le locataire est tenu d’assumer des dépenses additionnelles par rapport au loyer de base. Contactez le courtier inscripteur pour tout connaître sur les frais connexes et additionnels associés à chaque type de loyer.
1. Service complet: Un taux de location qui comprend des services standards liés à l’immeuble fournis par le propriétaire dans le cadre d’une location annuelle de base.
2. Loyer supernet: Le locataire paie seulement deux des frais de l’immeuble. Le propriétaire et le locataire déterminent ces frais spécifiques avant la signature du bail.
3. Loyer hypernet: Un bail en vertu duquel le locataire est responsable de tous les frais liés à sa part proportionnelle d’occupation de l’immeuble.
4. Brut modifié: Le loyer brut modifié désigne un type général de taux de location dans lequel le locataire est habituellement responsable de sa part proportionnelle d’un ou de plusieurs frais. C’est le propriétaire qui paie les frais restants. Considérez les structures tarifaires courantes suivantes applicables aux loyers bruts modifiés: 4. Plus les services: Un type de bail brut modifié suivant lequel le locataire est responsable de sa part proportionnelle des coûts des services publics, en plus du loyer. 4. Plus le nettoyage: Un type de bail brut modifié suivant lequel le locataire est responsable de sa part proportionnelle des coûts de nettoyage, en plus du loyer. 4. Plus l'électricité: Un type de bail brut modifié suivant lequel le locataire est responsable de sa part proportionnelle des coûts d’électricité, en plus du loyer. 4. Plus l’électricité et le nettoyage: Un type de bail brut modifié dans lequel le locataire est responsable de sa part proportionnelle des coûts d’électricité et de nettoyage, en plus du loyer. 4. Plus les services publics et le nettoyage: Un type de bail brut modifié dans lequel le locataire est responsable de sa part proportionnelle des coûts des services publics et de nettoyage, en plus du loyer. 4. Bail industriel brut: Un type de bail brut modifié dans lequel le locataire paie un ou plusieurs des frais, en plus du loyer. Le propriétaire et le locataire déterminent ces frais spécifiques avant la signature du bail.
5. L’électricité est à la charge du locataire: Le propriétaire paie pour tous les services et le locataire est responsable de sa propre utilisation de l’éclairage et des prises électriques dans l’espace qu’il occupe.
6. Négociable ou sur demande: Cette option est utilisée lorsque le contact de location ne précise pas le type de loyer ou de service.
7. À déterminer: À déterminer ; utilisé pour les immeubles dont le type de services ou de loyer n’est pas connu, souvent quand l’immeuble n’est pas encore construit.
PLAN DE SITE
FAITS SUR LA PROPRIÉTÉ
| Superficie totale disponible | 30 000 pi² | Superficie commerciale brute | 70 000 pi² |
| Min. divisible | 3 000 pi² | Année de construction | 2028 |
| Type de propriété | Commerce de détail | État de la construction | Proposé |
| Sous-type de propriété | Boutique |
| Superficie totale disponible | 30 000 pi² |
| Min. divisible | 3 000 pi² |
| Type de propriété | Commerce de détail |
| Sous-type de propriété | Boutique |
| Superficie commerciale brute | 70 000 pi² |
| Année de construction | 2028 |
| État de la construction | Proposé |
À PROPOS DE LA PROPRIÉTÉ
Prime Retail Opportunity at Dawson Trails - Castle Rock CO Discover an exceptional opportunity to secure premium retail space in one of Colorado's fastest-growing markets. Located at the southwest corner of Ike Street and Costco Lane in Castle Rock, Dawson Trails Tracts N, Q, and S encompass 9.31 acres (405,435 SF) of prime commercial land within an approved Planned Development (PD) zone. This super pad site is strategically positioned for maximum visibility and is directly accessible from the new interchange at I-25 and Crystal Valley. It is adjacent to a proposed Costco Wholesale warehouse, set for estimated completion in Q1 2027—a proven traffic magnet that will drive thousands of daily shoppers directly to your doorstep. Unmatched Location and Accessibility Situated just north of the under-construction Interstate 25 interchange at Crystal Valley Parkway/Territorial Road (anticipated completion Q1 2027), providing seamless regional connectivity for customers from Denver, Colorado Springs, and beyond. Direct access via proposed roadways and shared parking with the adjacent Costco, ensuring high foot traffic and convenience. Part of the expansive Dawson Trails Planned Development, with utilities (water/sewer from the Town of Castle Rock) and public roadways extended to the site at no cost to tenants – ready for efficient build-out of multi-tenant retail spaces. Thriving Market and Growth Potential Surrounded by explosive residential and commercial expansion: The nearby Crystal Valley Parkway area is approved for 5,850 new homes and 3.2 million square feet of additional retail, fueling long-term demand. Affluent demographics in a 5-mile radius: 2024 population of 76,203 (projected to grow to 84,469 by 2029), median household income of $150,864, and average household income of $181,317 – ideal for national retailers targeting high-spending consumers. Stable and recovering retail market: The Denver metro area shows positive net absorption (projected 33,000 SF by end of 2025 in the Southeast Outlying submarket) with occupancy rates at 98.6%. Development-Ready for National Tenants This site is zoned for development into flexible, multi-tenant retail spaces available for lease or sale – perfect for big-box anchors, dining concepts, or specialty retailers. This development will be offered for pre-leasing currently to lock a location next to the newest Costco in Colorado. Highest and best use identified as retail development, capitalizing on the site's proximity to Costco and the new I-25 interchange for unparalleled exposure in a high-growth corridor. Position your brand at the heart of Castle Rock's retail renaissance. With Costco's draw, superior demographics, and infrastructure advantages, Dawson Trails offers a rare chance to capture market share in a burgeoning trade area. Contact us today to explore leasing opportunities and be part of this dynamic retail destination! Development-Ready for National Tenants This site is zoned for development into flexible, multi-tenant retail spaces available for lease or sale – perfect for big-box anchors, dining concepts, or specialty retailers. This development will be offered for pre-leasing currently to lock a location next to the newest Costco in Colorado. Highest and best use identified as retail development, capitalizing on the site's proximity to Costco and the new I- interchange for unparalleled exposure in a high-growth corridor. Position your brand at the heart of Castle Rock's retail renaissance. With Costco's draw, superior demographics, and infrastructure advantages, Dawson Trails offers a rare chance to capture market share in a burgeoning trade area. Contact us today to explore leasing opportunities and be part of this dynamic retail destination!
PRINCIPAUX DÉTAILLANTS À PROXIMITÉ
Présenté par
101 Dawson Dr
Hmm, il semble y avoir eu une erreur lors de l’envoi de votre message. Veuillez réessayer.
Merci! Votre message a été envoyé.







