Se Connecter/S’inscrire
Votre courriel a été envoyé.
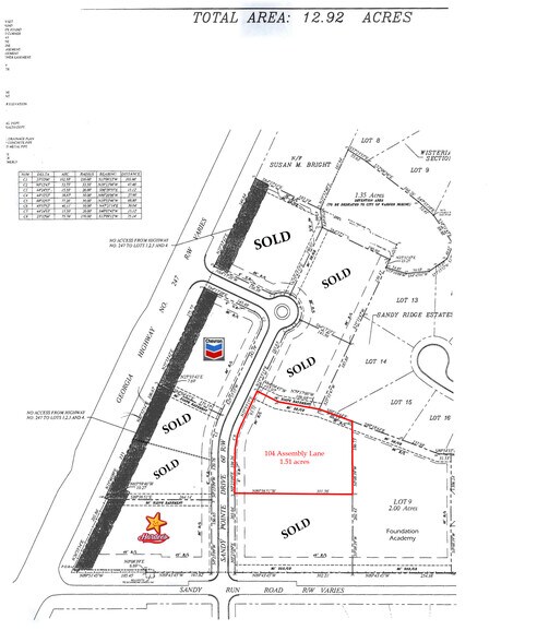
104 Assembly Ln - Commercial Lot off Highway 247 Lot • Terrain commercial • 1,51 Acres • 270 541 $ CAD • Bonaire, GA 31005


Certaines informations ont été traduites automatiquement.
Faits sur la propriété
| Prix | 270 541 $ CAD | Sous-type de propriété | Terrain commercial |
| Type de vente | Investissement ou propriétaire utilisateur | Utilisation proposée | Commercial |
| Nombre de lots | 1 | Taille totale du lot | 1,51 AC |
| Type de propriété | Terrain | ||
| Zonage | C-2 - Commerciale | ||
| Prix | 270 541 $ CAD |
| Type de vente | Investissement ou propriétaire utilisateur |
| Nombre de lots | 1 |
| Type de propriété | Terrain |
| Sous-type de propriété | Terrain commercial |
| Utilisation proposée | Commercial |
| Taille totale du lot | 1,51 AC |
| Zonage | C-2 - Commerciale |
1 Lot disponible
Lot 7
| Prix | 270 541 $ CAD | Taille du lot | 1,51 AC |
| Prix par AC | 179 165,90 $ CAD |
| Prix | 270 541 $ CAD |
| Prix par AC | 179 165,90 $ CAD |
| Taille du lot | 1,51 AC |
Description
Topographie de niveau. Tous les services publics disponibles sur place. Détention du capitaine fournie. Des coupes en bordure de trottoir sont en place. Route existante avec bordure et caniveau. Des lots supplémentaires sont disponibles dans les environs immédiats. Consultez le dépliant ou appelez l'agent pour plus de détails.
1 1
Plutôt praticable à pied
20/100
Très facile d’accès en voiture
80/100
Assez praticable en vélo
30/100
Impôts fonciers
| Numéro de lot | 0W1490007000 | Évaluation des bâtiments | 0 $ CAD |
| Évaluation du terrain | 105 652 $ CAD | Évaluation totale | 105 652 $ CAD |
Impôts fonciers
Numéro de lot
0W1490007000
Évaluation du terrain
105 652 $ CAD
Évaluation des bâtiments
0 $ CAD
Évaluation totale
105 652 $ CAD
1 de 3
Vidéos
Visite extérieure 3D Matterport
Visite 3D Matterport
Photos
Vue depuis la rue
Rue
Carte
1 de 1
Présenté par
104 Assembly Ln - Commercial Lot off Highway 247
Vous êtes déjà membre? Connectez-vous
Hmm, il semble y avoir eu une erreur lors de l’envoi de votre message. Veuillez réessayer.
Merci! Votre message a été envoyé.
