Votre courriel a été envoyé.
10401 Inkster Rd - Southside of 9951 Inkster Rd (UniFirst) Lot • Terrain industriel • 44 Acres • 814 800 $ CAD • Taylor, MI 48180



Certaines informations ont été traduites automatiquement.
Faits saillants de l'investissement
- Expansive 44-acre development site positioned along Inkster Road, offering strong connectivity within the Downriver region
- Close access to I-94, I-75, and Telegraph Road, enabling efficient reach to Detroit Metro Airport and the greater Metro Detroit market
- Rare large-scale acreage within a development-friendly municipality with strong regional workforce and infrastructure support
- Large contiguous land tract supporting residential, industrial, or institutional development paths depending on buyer strategy
- Situated near established neighborhoods and retail corridors that enhance long-term demand and redevelopment feasibility
Résumé de l'annonce
Taylor continues to attract investment due to its strong transportation network anchored by I-94, Telegraph Road, and I-75, all of which provide efficient reach to Metro Detroit, Detroit Metro Airport, and the state’s expanding logistics ecosystem. The property’s proximity to Detroit Metropolitan Wayne County Airport is particularly advantageous for industrial or e-commerce uses seeking distribution efficiencies. Retail corridors, established neighborhoods, and a substantial regional workforce further contribute to the site’s long-term viability for both commercial and residential concepts.
Faits sur la propriété
1 Lot disponible
Lot 1 & 3
| Prix | 814 800 $ CAD | Taille du lot | 44,00 AC |
| Prix par AC | 18 518,18 $ CAD |
| Prix | 814 800 $ CAD |
| Prix par AC | 18 518,18 $ CAD |
| Taille du lot | 44,00 AC |
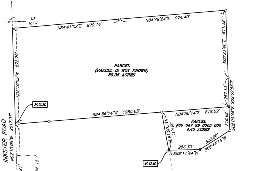
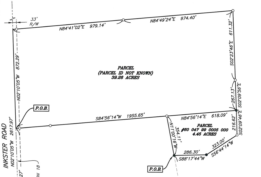
Great development opportunity with water on property and sewer across the street 872' of frontage residential and or light industrial (rezoning required). Land is 95% clear and currently farmed and pretty flat. With a 2-ac gravel lot.
Description
This 44-acre parcel along Inkster Road offers a substantial development footprint within the city of Taylor, providing excellent regional connectivity and flexibility for a wide range of future uses. Surrounded by residential neighborhoods, industrial corridors, and major transportation routes, the site is well positioned for projects that benefit from scale, visibility, and access to metropolitan Detroit. Its broad acreage supports residential, industrial, institutional, or mixed-use possibilities depending on zoning and buyer objectives.
Impôts fonciers
| Numéro de lot | 60-047-99-0002-000 | Évaluation des bâtiments | 0 $ CAD |
| Évaluation du terrain | 0 $ CAD | Évaluation totale | 547 760 $ CAD |
Impôts fonciers
Présenté par
Roger Ingles Construction llc
10401 Inkster Rd - Southside of 9951 Inkster Rd (UniFirst)
Hmm, il semble y avoir eu une erreur lors de l’envoi de votre message. Veuillez réessayer.
Merci! Votre message a été envoyé.
