Se Connecter/S’inscrire
Votre courriel a été envoyé.
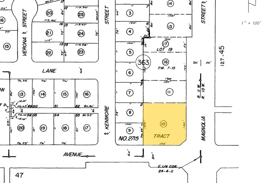
10471 Magnolia Ave - Corner Retail or Medical Office Lot • Terrain commercial • 0,51 Acres • 2 656 290 $ CAD • Anaheim, CA 92804



Certaines informations ont été traduites automatiquement.
Résumé de l'annonce
Zoning CN Neighborhood Commercial, with parking for 10 spaces. 150 ft frontage on Cerritos Ave. Possible to install Signage on the corner of Cerritos and Magnolia. Traffic count 36,000 cars per day.
Taxes et dépenses d’exploitation (Réel - 2026) Cliquez ici pour accéder à |
Annuel (CAD) | Annuel par AC (CAD) |
|---|---|---|
| Taxes |
-
|
-
|
| Dépenses d’exploitation |
-
|
-
|
| Total des dépenses |
$99,999
|
$9.99
|
Taxes et dépenses d’exploitation (Réel - 2026) Cliquez ici pour accéder à
| Taxes (CAD) | |
|---|---|
| Annuel | - |
| Annuel par AC | - |
| Dépenses d’exploitation (CAD) | |
|---|---|
| Annuel | - |
| Annuel par AC | - |
| Total des dépenses (CAD) | |
|---|---|
| Annuel | $99,999 |
| Annuel par AC | $9.99 |
Faits sur la propriété
1 Lot disponible
Lot 10
| Prix | 2 656 290 $ CAD | Taille du lot | 0,51 AC |
| Prix par AC | 5 208 319,94 $ CAD |
| Prix | 2 656 290 $ CAD |
| Prix par AC | 5 208 319,94 $ CAD |
| Taille du lot | 0,51 AC |
Building on lot is 1821 sq. ft, being used as storage. Owner does not warrant the condition of the building and condition. located on busy corner of Magnolia and Cerritos Ave, in Anaheim. in the Stanton area.
Description
Owner to sell as is. .51 Acres. Drive through, with Multiple Access. Near 5 and 55 Freeways.
1 1
Walk Score®
Très pratique à pied (75)
Impôts fonciers
| Numéro de lot | 126-363-10 | Évaluation des bâtiments | 187 836 $ CAD (2025) |
| Évaluation du terrain | 906 213 $ CAD (2025) | Évaluation totale | 1 094 048 $ CAD (2025) |
Impôts fonciers
Numéro de lot
126-363-10
Évaluation du terrain
906 213 $ CAD (2025)
Évaluation des bâtiments
187 836 $ CAD (2025)
Évaluation totale
1 094 048 $ CAD (2025)
1 de 22
Vidéos
Visite extérieure 3D Matterport
Visite 3D Matterport
Photos
Vue depuis la rue
Rue
Carte
1 de 1
Présenté par
10471 Magnolia Ave - Corner Retail or Medical Office
Vous êtes déjà membre? Connectez-vous
Hmm, il semble y avoir eu une erreur lors de l’envoi de votre message. Veuillez réessayer.
Merci! Votre message a été envoyé.
Votre message a été envoyé !
Activez votre compte LoopNet dès maintenant pour suivre les propriétés, recevoir des alertes en temps réel, gagner du temps sur vos demandes futures et bien plus encore.
