Votre courriel a été envoyé.
10670 Childers St - Downtown Bonita Springs - Large Corner Lots Lot • Résidentiel • 0,69 Acres • 2 707 415 $ CAD • Bonita Springs, FL 34135



Certaines informations ont été traduites automatiquement.
Faits saillants de l'investissement
- Excellent area for both annual & seasonal rentals Located center of the areas most amazing redevelopment plans & projects.
- Walk to everything in minutes. One of the most prime properties available in Old Bonta.
- Property is ready to build on. Cleared with engineering and plans doe the 3 story buildings.
Salle de données Cliquez ici pour accéder à
Faits sur la propriété
1 Lot disponible
Lot
| Prix | 2 707 415 $ CAD | Taille du lot | 0,69 AC |
| Prix par AC | 3 906 803,58 $ CAD |
| Prix | 2 707 415 $ CAD |
| Prix par AC | 3 906 803,58 $ CAD |
| Taille du lot | 0,69 AC |
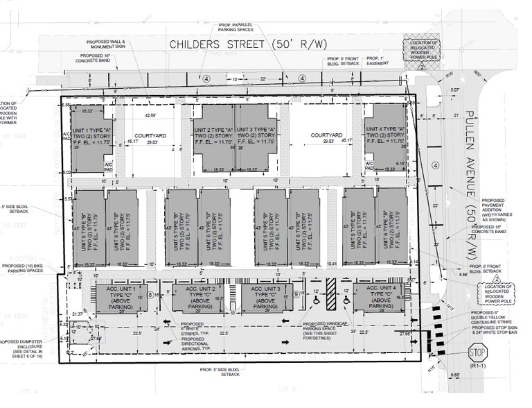
Old Bonita's Revitalization area. This a rare chance to pick up a multi-family residential site with plans ready for 12 - 18 units . A few blocks from The Sugar Shack, Riverside Park and Shangrai-La Spring, Spa and Organic Cafe.
Description
"THE VILLAGE DOWNTOWN". Invest in the Heart of Old Bonita Springs Seize this fantastic investment opportunity to acquire a highly sought-after multifamily lot located right in the vibrant, historic heart of downtown Old Bonita Springs. Plans are about complete for 5 Olde Florida Duplexes, 2 Single Family Homes & 4 "Live In" Art Studios. This is more than just a piece of land; it is a gateway to capitalizing on the area's explosive growth and active redevelopment. Positioned strategically, the lot is perfectly situated to benefit from the ongoing revitalization efforts transforming the neighborhood into one of the region's most desirable locales. With a consistent demand for high-quality rental properties in this area, developing this land into a multifamily residence offers the potential for significant passive income and impressive appreciation as the downtown core continues its upward trajectory. The location of this lot is truly unbeatable for attracting both future residents and maximizing rental income. Your tenants will enjoy the unparalleled convenience of being just a couple of short blocks from the center of town, providing walkable access to a thriving social scene. Imagine them strolling to popular local restaurants, charming cafes, gourmet coffee shops, and the beautiful Riverside Park, which hosts numerous community events. This proximity to amenities defines a premium lifestyle, making the area a fantastic rental market. Don't miss your chance to secure a prime asset in a central location that is poised for substantial growth in the years to come. Invest in the Heart of Old Bonita Springs.
Impôts fonciers
| Numéro de lot | 35-47-25-B2-00325.001A | Évaluation des bâtiments | 0 $ CAD |
| Évaluation du terrain | 179 170 $ CAD | Évaluation totale | 179 170 $ CAD |
Impôts fonciers
Présenté par
10670 Childers St - Downtown Bonita Springs - Large Corner Lots
Hmm, il semble y avoir eu une erreur lors de l’envoi de votre message. Veuillez réessayer.
Merci! Votre message a été envoyé.
