Se Connecter/S’inscrire
Votre courriel a été envoyé.
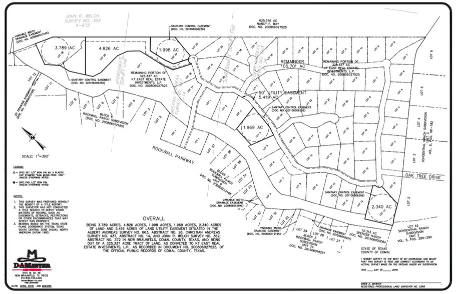
10727 Schoenthal Rd
New Braunfels, TX 78132
Terrain À vendre
·
10,36 AC


Certaines informations ont été traduites automatiquement.
Faits saillants de l'investissement
- Property is serviced by Texas Water Company, which has an estimated 150 additional connections available
- Prospective buyer should retain an independent engineer to verify location, accessibility, and capacity of all utilities to the property
- Sewer: Septic
Résumé de l'annonce
The ±10.36-acre property includes an existing home
• The ±105.82-acre poroperty is referred to as Unit 7B of the Rockwall Ranch development. Rockwall Ranch is a wellestablished residential enclave, with historical home sales ranging from $600,000 to $2,000,000
• The properties can be acquired together or separate
• Both properties are serviced by Texas Water Company
• Sewer: Septic
• School District: New Braunfels ISD
• Prospective buyer should retain an independent engineer to verify location, accessibility, and capacity of all utilities to
the property
• The ±105.82-acre poroperty is referred to as Unit 7B of the Rockwall Ranch development. Rockwall Ranch is a wellestablished residential enclave, with historical home sales ranging from $600,000 to $2,000,000
• The properties can be acquired together or separate
• Both properties are serviced by Texas Water Company
• Sewer: Septic
• School District: New Braunfels ISD
• Prospective buyer should retain an independent engineer to verify location, accessibility, and capacity of all utilities to
the property
Faits sur la propriété Sous contrat
| Type de vente | Investissement | Sous-type de propriété | Terrain commercial |
| Nombre de lots | 1 | Utilisation proposée | |
| Type de propriété | Terrain | Taille totale du lot | 10,36 AC |
| Type de vente | Investissement |
| Nombre de lots | 1 |
| Type de propriété | Terrain |
| Sous-type de propriété | Terrain commercial |
| Utilisation proposée | |
| Taille totale du lot | 10,36 AC |
1 Lot disponible
Lot
| Taille du lot | 10,36 AC |
| Taille du lot | 10,36 AC |
Includes an existing home
Impôts fonciers
| Numéro de lot | 78-0672-0046-00 | Évaluation des bâtiments | 225 632 $ CAD |
| Évaluation du terrain | 699 514 $ CAD | Évaluation totale | 925 146 $ CAD |
Impôts fonciers
Numéro de lot
78-0672-0046-00
Évaluation du terrain
699 514 $ CAD
Évaluation des bâtiments
225 632 $ CAD
Évaluation totale
925 146 $ CAD
1 de 3
Vidéos
Visite extérieure 3D Matterport
Visite 3D Matterport
Photos
Vue depuis la rue
Rue
Carte
