Se Connecter/S’inscrire
Votre courriel a été envoyé.
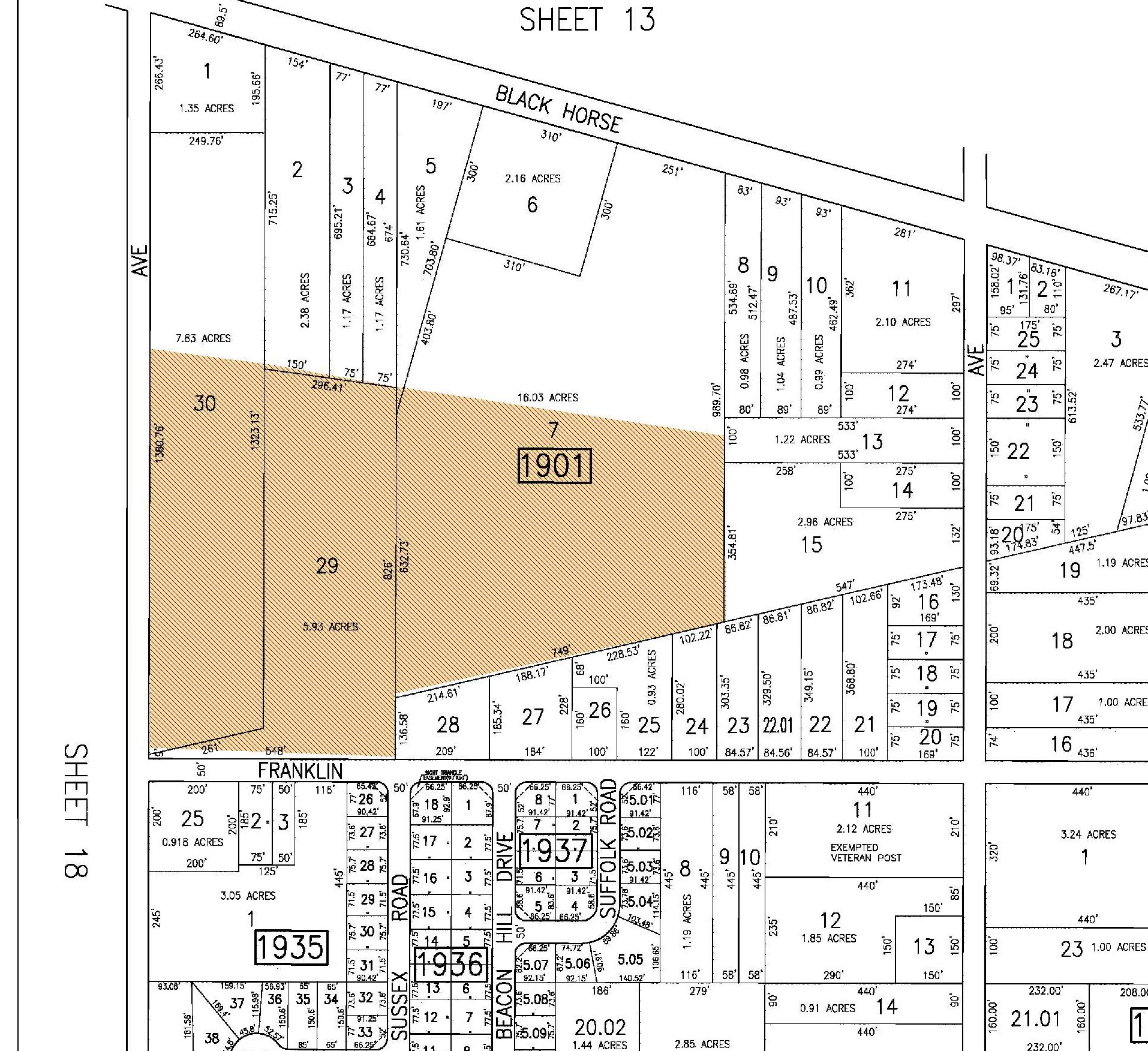
108 Franklin Ave
Egg Harbor Township, NJ 08234
Farmington Cove · Terrain À vendre
·
29,87 AC


Certaines informations ont été traduites automatiquement.
Faits saillants de l'investissement
- 55+- Subdivision de lots.
- Zone à forte demande avec un excellent système scolaire.
- Eau publique, égout, électricité, câble sur le site.
- Fourchette de prix d'absorption : 279 900,00$ à 350 000,00$
Résumé de l'annonce
Subdivision résidentielle 55+- approuvée précédemment qui devra être mise à jour dans le canton d'Egg Harbor et les Pinelands. Le site est desservi par l'eau publique, les égouts, le câble et l'électricité. La subdivision peut être élaborée par étapes. Les approbations ont été effectuées par des professionnels locaux qui aimeraient avoir l'occasion de rencontrer des acheteurs potentiels pour examiner les plans, les permis et les approbations afin de discuter des changements qui pourraient être nécessaires avant de soumettre les plans finaux aux agences locales, de comté et d'État. Une parcelle commerciale devant le lotissement est également disponible.
Faits sur la propriété Sous contrat
| Type de vente | Investissement | Sous-type de propriété | Terrain commercial |
| Nombre de lots | 1 | Utilisation proposée | Développement familial unique |
| Type de propriété | Terrain | Taille totale du lot | 29,87 AC |
| Zonage | RG-2 - Le zonage RG2 s'applique souvent aux zones désignées pour un développement résidentiel à densité faible à modérée, ce qui permet une combinaison de types de logements résidentiels. | ||
| Type de vente | Investissement |
| Nombre de lots | 1 |
| Type de propriété | Terrain |
| Sous-type de propriété | Terrain commercial |
| Utilisation proposée | Développement familial unique |
| Taille totale du lot | 29,87 AC |
| Zonage | RG-2 - Le zonage RG2 s'applique souvent aux zones désignées pour un développement résidentiel à densité faible à modérée, ce qui permet une combinaison de types de logements résidentiels. |
1 Lot disponible
Lot
| Prix | 2 071 800 $ CAD | Taille du lot | 29,87 AC |
| Prix par AC | 69 360,56 $ CAD |
| Prix | 2 071 800 $ CAD |
| Prix par AC | 69 360,56 $ CAD |
| Taille du lot | 29,87 AC |
Impôts fonciers
| Numéros de lot | Évaluation des bâtiments | 88 121 $ CAD | |
| Évaluation du terrain | 2 364 614 $ CAD | Évaluation totale | 2 452 735 $ CAD |
Impôts fonciers
Numéros de lot
Évaluation du terrain
2 364 614 $ CAD
Évaluation des bâtiments
88 121 $ CAD
Évaluation totale
2 452 735 $ CAD
1 de 6
Vidéos
Visite extérieure 3D Matterport
Visite 3D Matterport
Photos
Vue depuis la rue
Rue
Carte
