Votre courriel a été envoyé.
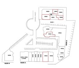
North Point Business Park San Leandro, CA 94577 1 780–15 520 pi² d'espace disponible



Certaines informations ont été traduites automatiquement.
Faits saillants du parc
- Beaucoup de places de stationnement.
Faits sur le parc
| Superficie totale disponible | 15 520 pi² | Caractéristiques | Affichage |
| Type de parc | Parc industriel |
| Superficie totale disponible | 15 520 pi² |
| Type de parc | Parc industriel |
| Caractéristiques | Affichage |
Caractéristiques et commodités
- Affichage
Tous les espaces disponibles(5)
Afficher les taux de location en
- Espace
- Taille
- Terme
- Taux de location
- Utilisation de l’espace
- Aménagement
- Disponible
2,645 square foot space. The unit is broken up by 1220 SF office area and 1422 SF warehouse area.
- Le taux inscrit peut ne pas comprendre certains services publics, les services de bâtiment et les dépenses immobilières.
- 1 accès plain-pied
- Comprend 1 220 pi² d’espace de bureau dédié
- Climatisation centrale
| Espace | Taille | Terme | Taux de location | Utilisation de l’espace | Aménagement | Disponible |
| 1er étage - 10802/10808 | 2 642 pi² | Négociable | 30,41 $ CAD/pi²/an 2,53 $ CAD/pi²/mois 80 337 $ CAD/an 6 695 $ CAD/mois | Industriel | construction complète | Maintenant |
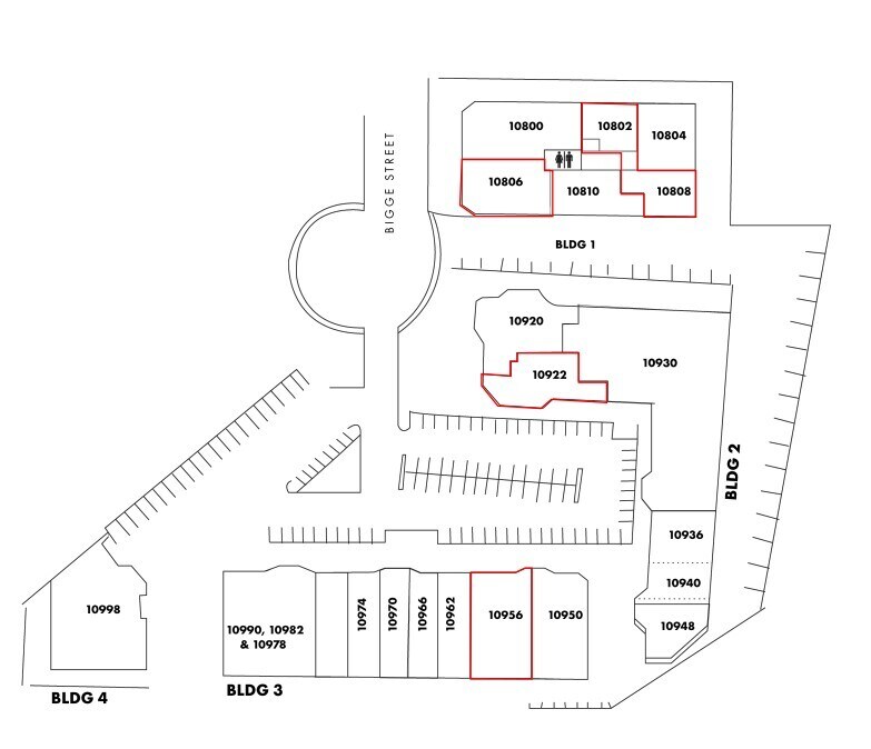
10800-10810 Bigge St - 1er étage - 10802/10808
- Espace
- Taille
- Terme
- Taux de location
- Utilisation de l’espace
- Aménagement
- Disponible
100% office area. Suite totals 3,917 square feet.
- Le taux inscrit peut ne pas comprendre certains services publics, les services de bâtiment et les dépenses immobilières.
- Disposition du plan d’étage ouverte en général
- 7 bureaux privés
- Espace en excellent état
- Entièrement construit comme Bureau standard
- Convient pour 10 à 32 personnes
- 1 salle de conférence
- Aire de réception
| Espace | Taille | Terme | Taux de location | Utilisation de l’espace | Aménagement | Disponible |
| 1er étage - 10920 | 3 658 pi² | 1 an | Sur demande Sur demande Sur demande Sur demande | Flex | - | Maintenant |
| 1er étage, ste 10922 | 3 917 pi² | Négociable | 30,41 $ CAD/pi²/an 2,53 $ CAD/pi²/mois 119 106 $ CAD/an 9 926 $ CAD/mois | Bureau | construction complète | Maintenant |
10920-10940 Bigge St - 1er étage - 10920
10920-10940 Bigge St - 1er étage - ste 10922
- Espace
- Taille
- Terme
- Taux de location
- Utilisation de l’espace
- Aménagement
- Disponible
65% Warehouse 35% Office. – Available October 1, 2024.
- Le taux inscrit peut ne pas comprendre certains services publics, les services de bâtiment et les dépenses immobilières.
- 2 accès plain-pied
- Comprend 1 233 pi² d’espace de bureau dédié
- Salle de bains privée
20% office / 80% warehouse. Reception, 2 private offices, bathroom. Warehouse with grade level door.
- Le taux inscrit peut ne pas comprendre certains services publics, les services de bâtiment et les dépenses immobilières.
- 1 accès plain-pied
| Espace | Taille | Terme | Taux de location | Utilisation de l’espace | Aménagement | Disponible |
| 1er étage - 10956 | 3 523 pi² | Négociable | 30,41 $ CAD/pi²/an 2,53 $ CAD/pi²/mois 107 126 $ CAD/an 8 927 $ CAD/mois | Flex | construction complète | Maintenant |
| 1er étage - 10970 | 1 780 pi² | Négociable | 30,41 $ CAD/pi²/an 2,53 $ CAD/pi²/mois 54 125 $ CAD/an 4 510 $ CAD/mois | Flex | construction complète | Maintenant |
10940-10990 Bigge St - 1er étage - 10956
10940-10990 Bigge St - 1er étage - 10970
10800-10810 Bigge St - 1er étage - 10802/10808
| Taille | 2 642 pi² |
| Terme | Négociable |
| Taux de location | 30,41 $ CAD/pi²/an |
| Utilisation de l’espace | Industriel |
| Aménagement | construction complète |
| Disponible | Maintenant |
2,645 square foot space. The unit is broken up by 1220 SF office area and 1422 SF warehouse area.
- Le taux inscrit peut ne pas comprendre certains services publics, les services de bâtiment et les dépenses immobilières.
- Comprend 1 220 pi² d’espace de bureau dédié
- 1 accès plain-pied
- Climatisation centrale
10920-10940 Bigge St - 1er étage - 10920
| Taille | 3 658 pi² |
| Terme | 1 an |
| Taux de location | Sur demande |
| Utilisation de l’espace | Flex |
| Aménagement | - |
| Disponible | Maintenant |
10920-10940 Bigge St - 1er étage - ste 10922
| Taille | 3 917 pi² |
| Terme | Négociable |
| Taux de location | 30,41 $ CAD/pi²/an |
| Utilisation de l’espace | Bureau |
| Aménagement | construction complète |
| Disponible | Maintenant |
100% office area. Suite totals 3,917 square feet.
- Le taux inscrit peut ne pas comprendre certains services publics, les services de bâtiment et les dépenses immobilières.
- Entièrement construit comme Bureau standard
- Disposition du plan d’étage ouverte en général
- Convient pour 10 à 32 personnes
- 7 bureaux privés
- 1 salle de conférence
- Espace en excellent état
- Aire de réception
10940-10990 Bigge St - 1er étage - 10956
| Taille | 3 523 pi² |
| Terme | Négociable |
| Taux de location | 30,41 $ CAD/pi²/an |
| Utilisation de l’espace | Flex |
| Aménagement | construction complète |
| Disponible | Maintenant |
65% Warehouse 35% Office. – Available October 1, 2024.
- Le taux inscrit peut ne pas comprendre certains services publics, les services de bâtiment et les dépenses immobilières.
- Comprend 1 233 pi² d’espace de bureau dédié
- 2 accès plain-pied
- Salle de bains privée
10940-10990 Bigge St - 1er étage - 10970
| Taille | 1 780 pi² |
| Terme | Négociable |
| Taux de location | 30,41 $ CAD/pi²/an |
| Utilisation de l’espace | Flex |
| Aménagement | construction complète |
| Disponible | Maintenant |
20% office / 80% warehouse. Reception, 2 private offices, bathroom. Warehouse with grade level door.
- Le taux inscrit peut ne pas comprendre certains services publics, les services de bâtiment et les dépenses immobilières.
- 1 accès plain-pied
Aperçu du parc
Le parc d'affaires de North Point est composé de 4 bâtiments. Les unités vont de l'utilisation de bureaux à l'utilisation dans les entrepôts industriels. Il y a un grand parking pour le centre.
Présenté par
North Point Business Park | San Leandro, CA 94577
Hmm, il semble y avoir eu une erreur lors de l’envoi de votre message. Veuillez réessayer.
Merci! Votre message a été envoyé.













