Se Connecter/S’inscrire
Votre courriel a été envoyé.
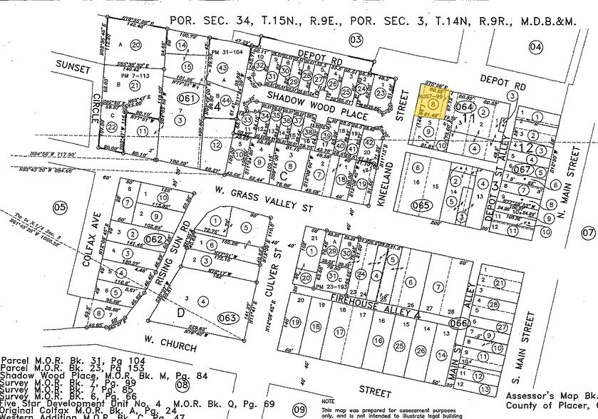
11 Kneeland Ave
Colfax, CA 95713
Terrain À vendre
·
0,08 AC


Certaines informations ont été traduites automatiquement.
Faits sur la propriété Sous contrat
1 Lot disponible
Lot
| Prix | 48 213 $ CAD | Taille du lot | 0,08 AC |
| Prix par AC | 598 333,32 $ CAD |
| Prix | 48 213 $ CAD |
| Prix par AC | 598 333,32 $ CAD |
| Taille du lot | 0,08 AC |
Impôts fonciers
| Numéro de lot | 006-064-008 | Évaluation des bâtiments | 0 $ CAD |
| Évaluation du terrain | 47 958 $ CAD | Évaluation totale | 47 958 $ CAD |
Impôts fonciers
Numéro de lot
006-064-008
Évaluation du terrain
47 958 $ CAD
Évaluation des bâtiments
0 $ CAD
Évaluation totale
47 958 $ CAD
1 de 3
Vidéos
Visite extérieure 3D Matterport
Visite 3D Matterport
Photos
Vue depuis la rue
Rue
Carte
