Se Connecter/S’inscrire
Votre courriel a été envoyé.
Certaines informations ont été traduites automatiquement.
Faits saillants
- Construit pour convenir à 20 000 SF
LOT Disponible
Afficher les taux de location en
| Taux de location |
|
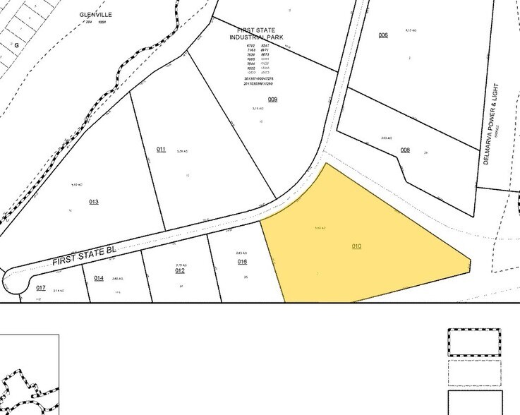
Taille du lot | 6,59 AC |
| Durée du bail | Négociable |
| Taux de location | |
| Durée du bail | Négociable |
| Taille du lot | 6,59 AC |
Proposed Building Size: 20,000 SF (Flex/Warehouse) Existing Building Size: 24,000 SF Land Size: 6.59 acres Zoning: Industrial Location Features: Strategically situated within First State Industrial Park. Excellent regional connectivity, just 2.8 miles from I-95. Approved site plan in place for a new 20,000 SF flex/warehouse facility.
Aperçu de la propriété
Zone I Terrain commercial de 6,59 acres avec option de construction sur demande pour un immeuble de 20 000 PF
Faits sur la propriété
1 1
1 de 6
Vidéos
Visite extérieure 3D Matterport
Visite 3D Matterport
Photos
Vue depuis la rue
Rue
Carte
1 de 1
Présenté par
1100 First State Blvd
Vous êtes déjà membre? Connectez-vous
Hmm, il semble y avoir eu une erreur lors de l’envoi de votre message. Veuillez réessayer.
Merci! Votre message a été envoyé.



