Votre courriel a été envoyé.
1113 Highway 96 - 0.40 Acre Out Parcel Lot Lot • Terrain commercial • 0,04 Acres • 512 663 $ CAD • Warner Robins, GA 31088



Certaines informations ont été traduites automatiquement.
Faits saillants de l'investissement
- Fronting Woodland's Coffee Roasters
- Located within the Lake Joy Pavilion
- High traffic area, surrounded by other businesses
- All utilities available
- Anchored by Lowe's Home Improvement Store
Résumé de l'annonce
Faits sur la propriété
1 Lot disponible
Lot
| Prix | 512 663 $ CAD | Taille du lot | 0,04 AC |
| Prix par AC | 12 816 562,50 $ CAD |
| Prix | 512 663 $ CAD |
| Prix par AC | 12 816 562,50 $ CAD |
| Taille du lot | 0,04 AC |
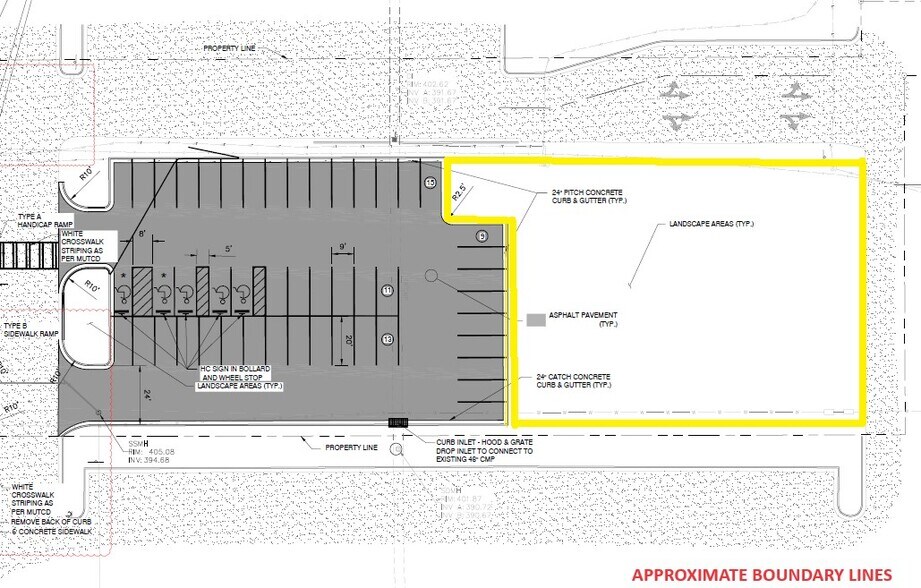
±0.40 Acre Out Parcel For Sale.
Description
Positioned in one of the most active retail corridors in Houston County, this ±0.40-acre outparcel at 1113 Highway 96 in Kathleen, GA offers a prime opportunity for commercial development in a high-growth, high-visibility location. Fronting Woodland’s Coffee Roasters and situated within the Lake Joy Pavilion—anchored by Lowe’s Home Improvement at the signalized intersection of Highway 96 and Lake Joy Road—the site benefits from strong co-tenancy and consistent consumer traffic driven by surrounding national retailers and service providers. Zoned C-2 (Commercial) with all utilities available, the property is ideally suited for a variety of retail, restaurant, or service-oriented uses. With traffic counts exceeding 18,800 vehicles per day on Highway 96 and 17,300 vehicles per day on Lake Joy Road, this site delivers excellent exposure and accessibility in a densely populated and rapidly expanding area, making it a strategic investment for businesses seeking to capitalize on steady growth and established retail demand.
Présenté par
1113 Highway 96 - 0.40 Acre Out Parcel Lot
Hmm, il semble y avoir eu une erreur lors de l’envoi de votre message. Veuillez réessayer.
Merci! Votre message a été envoyé.

