Se Connecter/S’inscrire
Votre courriel a été envoyé.
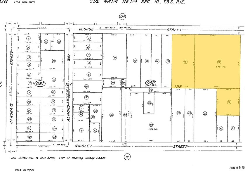
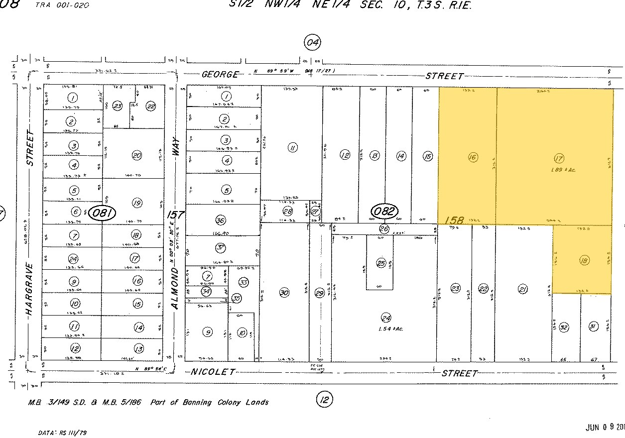
1130 E George St Lot • Résidentiel • 2,7 Acres • 1 515 954 $ CAD • Banning, CA 92220

Certaines informations ont été traduites automatiquement.
Faits saillants de l'investissement
- ACROSS FROM PARK
Résumé de l'annonce
TENTATIVE MAP IS APPROVED FOR 11 LOT READY TO DEVELOP.
Faits sur la propriété
| Prix | 1 515 954 $ CAD | Sous-type de propriété | Résidentiel |
| Type de vente | Investissement | Utilisation proposée | Développement familial unique |
| Nombre de lots | 1 | Taille totale du lot | 2,70 AC |
| Type de propriété | Terrain | Zone de développement économique |
Oui
|
| Zonage | R1 - DÉVELOPPEMENT D'UNE MAISON UNIFAMILIALE | ||
| Prix | 1 515 954 $ CAD |
| Type de vente | Investissement |
| Nombre de lots | 1 |
| Type de propriété | Terrain |
| Sous-type de propriété | Résidentiel |
| Utilisation proposée | Développement familial unique |
| Taille totale du lot | 2,70 AC |
| Zone de développement économique |
Oui |
| Zonage | R1 - DÉVELOPPEMENT D'UNE MAISON UNIFAMILIALE |
1 Lot disponible
Lot
| Prix | 1 515 954 $ CAD | Taille du lot | 2,70 AC |
| Prix par AC | 561 464,43 $ CAD |
| Prix | 1 515 954 $ CAD |
| Prix par AC | 561 464,43 $ CAD |
| Taille du lot | 2,70 AC |
GREAT FOR SINGLE FAMILY HOME DEVELOPMENT. 11 LOTS IN BOOMING BANNING.ALL UTILITIES ARE ON THE SITE .ONE LOT FACING GEORGE ST AND ONE LOT FACING NICOLETT ST ALMOST 2.7 ACRES. TENTATIVE MAP IS APPROVED READY FOR DEVELOPMENT
Description
UNE CARTE PROVISOIRE EST EN COURS DE RÉALISATION ET SERA BIENTÔT TERMINÉE POUR 11 MAISONS UNIFAMILIALES.
1 1
Relativement accessible à pied
30/100
Exceptionnellement adapté aux voitures
100/100
Transports en commun limités
30/100
Relativement accessible en vélo
30/100
Impôts fonciers
| Numéros de lot | Évaluation des bâtiments | 0 $ CAD | |
| Évaluation du terrain | 144 101 $ CAD | Évaluation totale | 144 101 $ CAD |
Impôts fonciers
Numéros de lot
Évaluation du terrain
144 101 $ CAD
Évaluation des bâtiments
0 $ CAD
Évaluation totale
144 101 $ CAD
1 de 2
Vidéos
Visite extérieure 3D Matterport
Visite 3D Matterport
Photos
Vue depuis la rue
Rue
Carte
1 de 1
Présenté par
Cal-Top Realty & Investments
1130 E George St
Vous êtes déjà membre? Connectez-vous
Hmm, il semble y avoir eu une erreur lors de l’envoi de votre message. Veuillez réessayer.
Merci! Votre message a été envoyé.
