Se Connecter/S’inscrire
Votre courriel a été envoyé.
1136 E Vista del Lago Dr - Lot 4 South Pier-Tempe Town Lake Lot • Terrain commercial • 1,45 Acres • Tempe, AZ 85288


Certaines informations ont été traduites automatiquement.
Faits saillants de l'investissement
- Located in the heart of Tempe, Tempe Town Lake is Arizona's second-most visited public attraction.
Résumé de l'annonce
Four prime lots for sale in South Pier at Tempe Town Lake — a premier mixed-use development featuring retail, multifamily, office, and entertainment. Lot 4 is currently entitled for 196,000 square feet of hospitality space with 300 hotel keys and 80 multifamily units for 97,200 square feet. Entitlement also includes 153,900 square feet for parking. Call for pricing.
Faits sur la propriété
1 Lot disponible
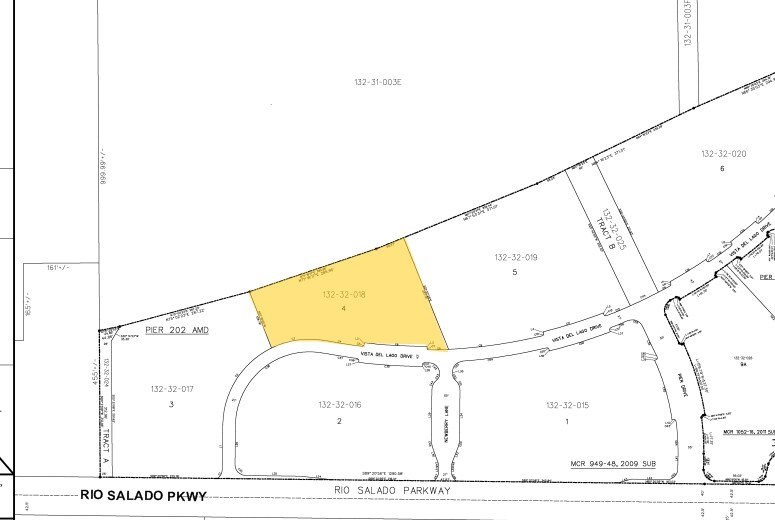
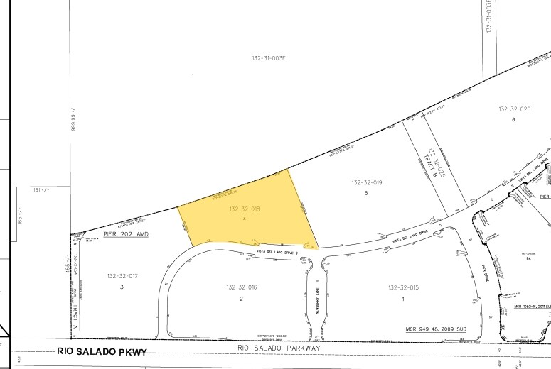
Lot 4
| Taille du lot | 1,45 AC |
| Taille du lot | 1,45 AC |
Lot entitled for 300 hotel keys (196,000 SF) and 80 multifamily units (97,200 SF) and Parking (153,900 SF).
Assez practicable à pied
40/100
Exceptionnellement facile d'accès en voiture
100/100
Transports en commun relativement accessibles
50/100
Exceptionnellement practicable à vélo
90/100
Impôts fonciers
| Numéro de lot | 132-32-018 | Évaluation des bâtiments | 0 $ CAD |
| Évaluation du terrain | 46 672 $ CAD | Évaluation totale | 46 672 $ CAD |
Impôts fonciers
Numéro de lot
132-32-018
Évaluation du terrain
46 672 $ CAD
Évaluation des bâtiments
0 $ CAD
Évaluation totale
46 672 $ CAD
1 de 3
Vidéos
Visite extérieure 3D Matterport
Visite 3D Matterport
Photos
Vue depuis la rue
Rue
Carte
Présenté par
1136 E Vista del Lago Dr - Lot 4 South Pier-Tempe Town Lake
Vous êtes déjà membre? Connectez-vous
Hmm, il semble y avoir eu une erreur lors de l’envoi de votre message. Veuillez réessayer.
Merci! Votre message a été envoyé.

