Votre courriel a été envoyé.
1138 S Bryant Ave - Spring Creek Village Outlot Lot • Terrain commercial • 1,1 Acres • Edmond, OK 73034



Certaines informations ont été traduites automatiquement.
Faits saillants de l'investissement
- Prime medical use location at SE 15th and Bryant Avenue
- Site is graded and compacted
- Stormwater detention is completed
- High-traffic area with excellent visibility and accessibility
- Signal and access street installed
- All utilities are installed
Résumé de l'annonce
Edmond is renowned for its outstanding quality of life, combining the charm of historic shopping areas with modern amenities. The city offers top-notch hotels, convenient attractions, championship golf courses, and beautiful public art on almost every corner.
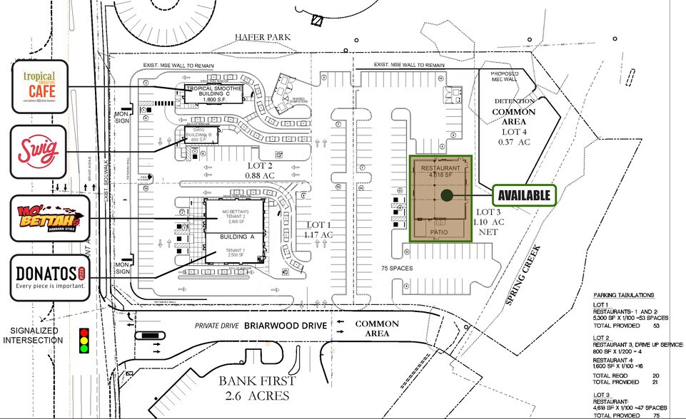
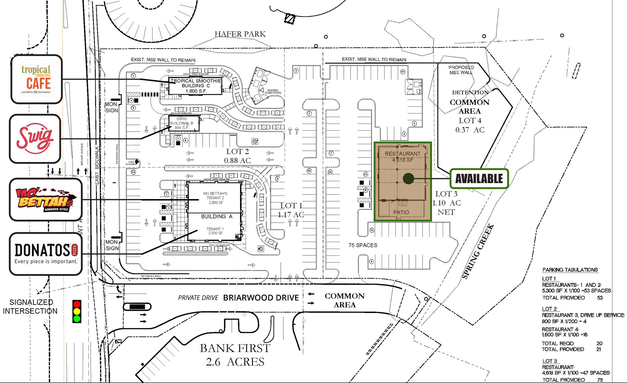
Surrounded by popular restaurants like Tropical Smoothie Cafe, Swig, Mo' Bettah, and Donato's Pizza.
Faits sur la propriété
| Type de vente | Investissement | Sous-type de propriété | Terrain commercial |
| Nombre de lots | 1 | Utilisation proposée | |
| Type de propriété | Terrain | Taille totale du lot | 1,10 AC |
| Type de vente | Investissement |
| Nombre de lots | 1 |
| Type de propriété | Terrain |
| Sous-type de propriété | Terrain commercial |
| Utilisation proposée | |
| Taille totale du lot | 1,10 AC |
1 Lot disponible
Lot 3
| Taille du lot | 1,10 AC |
| Taille du lot | 1,10 AC |
1.1 acres of graded and compacted commercial land. Prime medical use location at SE 15th and Bryant Avenue High-traffic area with excellent visibility and accessibility Site is graded and compacted Signal and access street installed Stormwater detent
Description
Lot 3 est situé à l'intersection très prisée de SE 15th et Bryant Avenue à Edmond, OK. Situé dans l'un des quartiers les plus recherchés d'Edmond, ce site en périphérie est entouré d'un centre de commerce de détail et de restauration florissant, incluant des restaurants populaires tels que Tropical Smoothie Cafe, Swig, Mo' Bettah et Donato's Pizza. Avec cet emplacement à fort trafic, votre entreprise bénéficiera d'une visibilité et d'un accès exceptionnels, ce qui le rend idéal pour un usage médical ou d'autres services professionnels. Edmond est réputée pour sa qualité de vie exceptionnelle, combinant le charme des zones commerçantes historiques avec des commodités modernes. La ville offre des hôtels de premier ordre, des attractions pratiques, des parcours de golf de championnat et de magnifiques œuvres d'art public à presque chaque coin de rue. Entouré de restaurants populaires tels que Tropical Smoothie Cafe, Swig, Mo' Bettah et Donato's Pizza.
Impôts fonciers
| Numéro de lot | 209801000 | Évaluation des bâtiments | 0 $ CAD |
| Évaluation du terrain | 18 183 $ CAD | Évaluation totale | 18 183 $ CAD |
Impôts fonciers
Présenté par
1138 S Bryant Ave - Spring Creek Village Outlot
Hmm, il semble y avoir eu une erreur lors de l’envoi de votre message. Veuillez réessayer.
Merci! Votre message a été envoyé.

