Votre courriel a été envoyé.
Certaines informations ont été traduites automatiquement.
Faits saillants de l'investissement
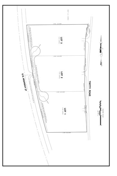
- Prime 19.19± Acres B-3 Commercial Land on the Highway
- Two RV Hookups – flexible usage
- Dual Road Access from US 27 & Twitty Road
Faits sur la propriété
| Prix | 3 958 462 $ CAD | Sous-type de propriété | Terrain commercial |
| Type de vente | Investissement | Taille totale du lot | 19,19 AC |
| Nombre de lots | 1 | Zone de développement économique |
Oui
|
| Type de propriété | Terrain | ||
| Zonage | B3 | ||
| Prix | 3 958 462 $ CAD |
| Type de vente | Investissement |
| Nombre de lots | 1 |
| Type de propriété | Terrain |
| Sous-type de propriété | Terrain commercial |
| Taille totale du lot | 19,19 AC |
| Zone de développement économique |
Oui |
| Zonage | B3 |
1 Lot disponible
Lot
| Prix | 3 958 462 $ CAD | Taille du lot | 19,19 AC |
| Prix par AC | 206 277,32 $ CAD |
| Prix | 3 958 462 $ CAD |
| Prix par AC | 206 277,32 $ CAD |
| Taille du lot | 19,19 AC |
A SUB OF W 1/2 OF NW 1/4 OF SEC 34 TB PG 41 S 1089 FT OF N 1324 FT OF NW 1/4 OF NW 1/4 E OF US 27-LESS E 400 FT W OF TWITTY RD 34-35-29/030/10 6.14 ACRES
Description
Prime 19.19± Acres B-3 Commercial Land on the Highway. ¦ Dual Road Access from US 27 & Twitty Road – excellent visibility & traffic flow ¦ Includes House with Pool and a Fully Solar-Powered Casita, 1 Bed 2 Bath. ¦ Two Solar Water Wells supporting sustainable living ¦ Two RV Hookups – flexible usage for visitors or temporary stays ¦ Lush Garden with Mature Fruit Trees ¦ Ideally located between Mini-Storage Facility (south) & Mobile Home Park (north) ¦¦ Minutes from Sebring International Raceway & close to Sebring amenities This property combines the advantages of prime B-3 commercial zoning with unique on-site features, offering unmatched development potential.
Impôts fonciers
| Numéros de lot | Évaluation des bâtiments | 0 $ CAD | |
| Évaluation du terrain | 184 556 $ CAD | Évaluation totale | 638 681 $ CAD |
Impôts fonciers
Présenté par
11400 Us-27 Highway S
Hmm, il semble y avoir eu une erreur lors de l’envoi de votre message. Veuillez réessayer.
Merci! Votre message a été envoyé.



