Se Connecter/S’inscrire
Votre courriel a été envoyé.
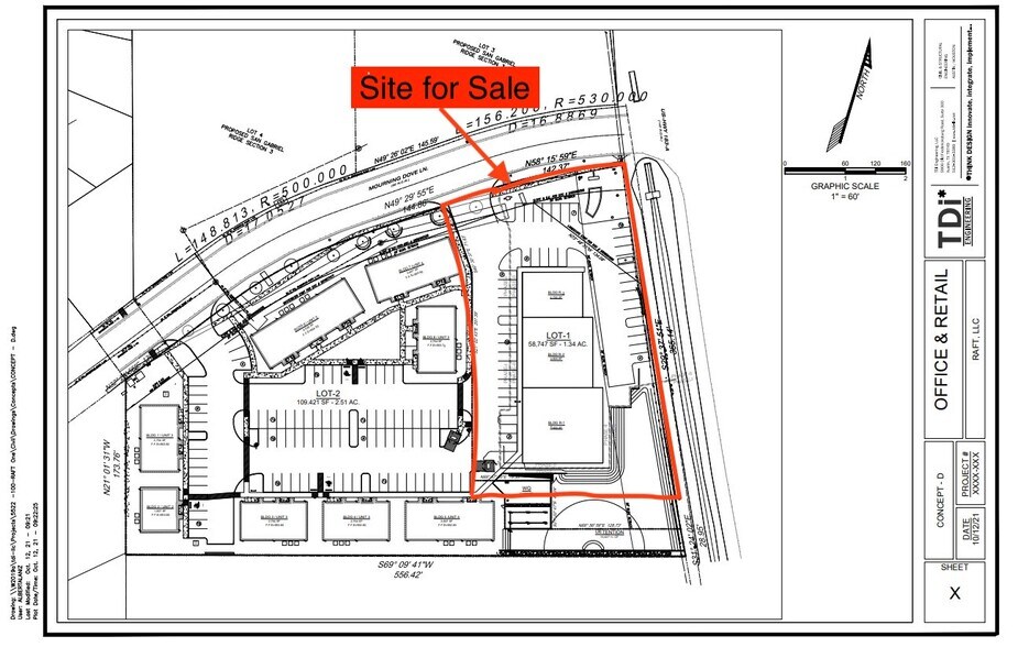
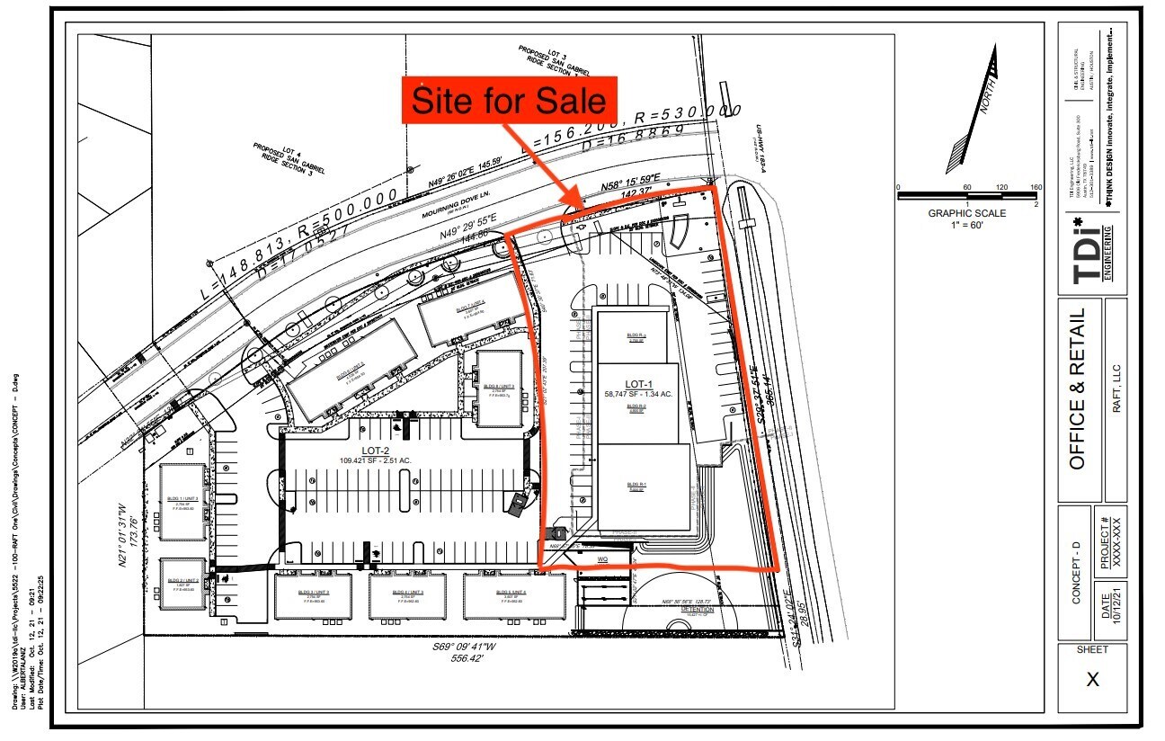
115 Mourning Dove Ln Lot • Terrain commercial • 1,39 Acres • 2 482 074 $ CAD • Leander, TX 78641


Certaines informations ont été traduites automatiquement.
FAITS SAILLANTS DE L'INVESTISSEMENT
- Aucune rétention requise, très visible à partir de la HWY183 convenant à des usages multiples.
RÉSUMÉ DE L'ANNONCE
Opportunité de développement de premier plan.
Zone commerciale en forte expansion du comté de Williamson.
Étang de rétention hors site
Zone commerciale en forte expansion du comté de Williamson.
Étang de rétention hors site
FAITS SUR LA PROPRIÉTÉ
| Prix | 2 482 074 $ CAD | Sous-type de propriété | Terrain commercial |
| Type de vente | Investissement | Utilisation proposée | |
| Nombre de lots | 1 | Taille totale du lot | 1,39 AC |
| Type de propriété | Terrain | ||
| Zonage | C5 | ||
| Prix | 2 482 074 $ CAD |
| Type de vente | Investissement |
| Nombre de lots | 1 |
| Type de propriété | Terrain |
| Sous-type de propriété | Terrain commercial |
| Utilisation proposée | |
| Taille totale du lot | 1,39 AC |
| Zonage | C5 |
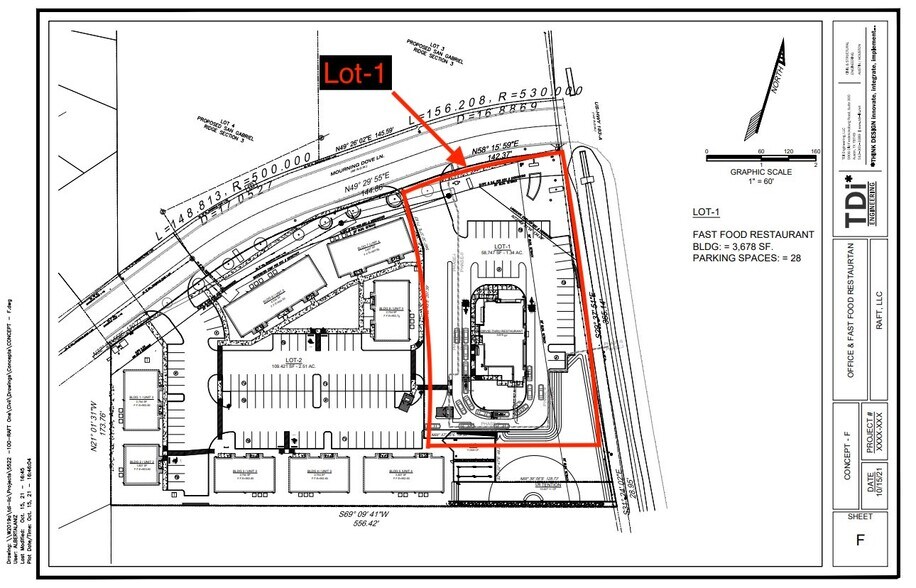
1 LOT DISPONIBLE
Lot 1
| Prix | 2 482 074 $ CAD | Taille du lot | 1,39 AC |
| Prix par AC | 1 785 664,71 $ CAD |
| Prix | 2 482 074 $ CAD |
| Prix par AC | 1 785 664,71 $ CAD |
| Taille du lot | 1,39 AC |
Coin of Lourning Dove et 183 Aucune détention requise Les services publics complets sont disponibles Rétention partagée de la qualité de l'eau Lignes d'eau, d'eaux usées et d'électricité jusqu'au site Allée partagée avec condos à bureaux Excellente visibilité depuis l'autoroute 183
DESCRIPTION
Lot de coin dur
1 1
1 de 3
VIDÉOS
VISITE EXTÉRIEURE 3D MATTERPORT
VISITE 3D MATTERPORT
PHOTOS
VUE DEPUIS LA RUE
RUE
CARTE
1 de 1
Présenté par
115 Mourning Dove Ln
Vous êtes déjà membre? Connectez-vous
Hmm, il semble y avoir eu une erreur lors de l’envoi de votre message. Veuillez réessayer.
Merci! Votre message a été envoyé.
