Se Connecter/S’inscrire
Votre courriel a été envoyé.
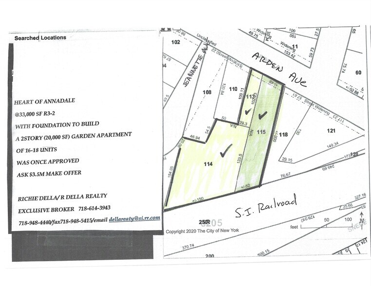
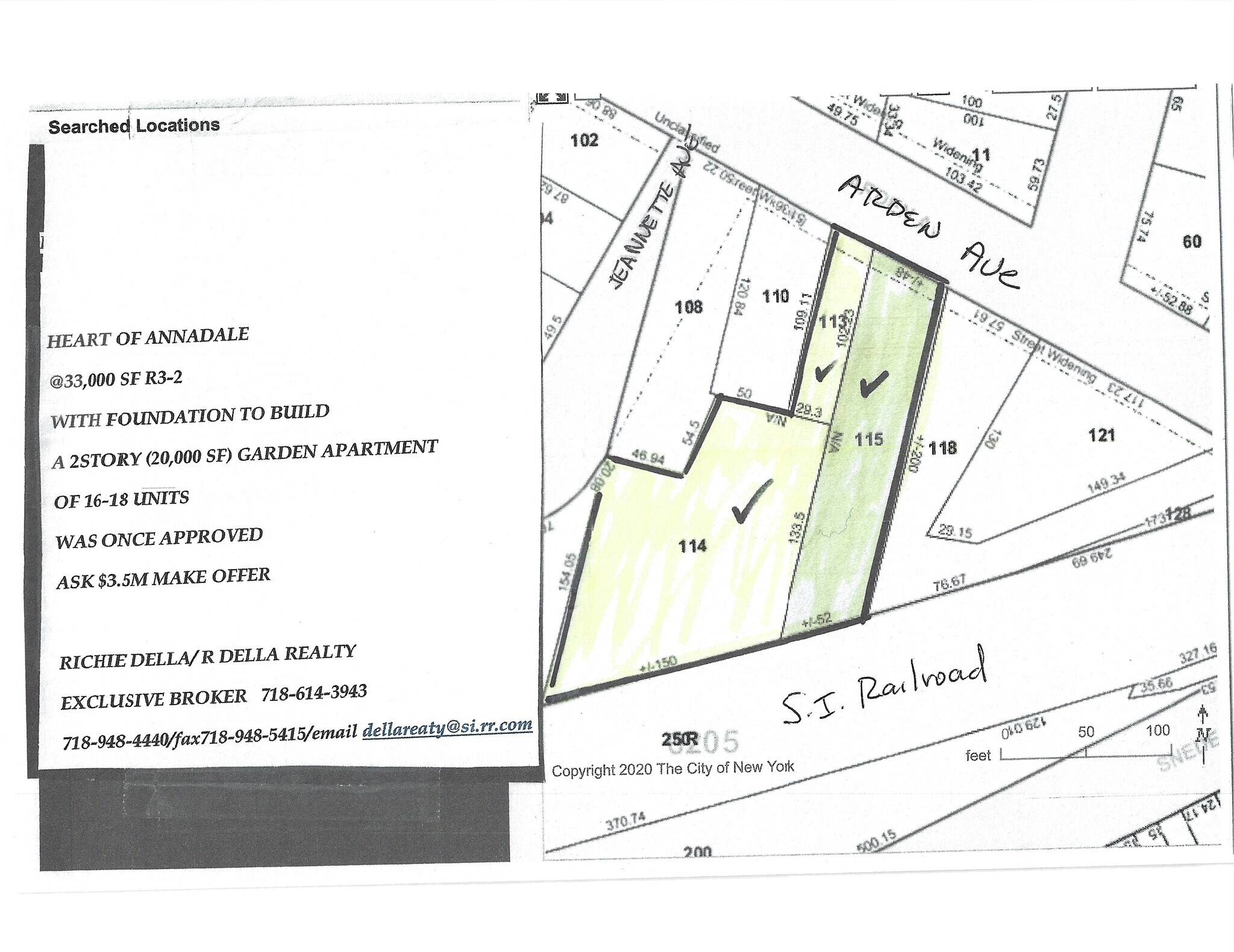
1150 Arden Ave Lot • Résidentiel • 0,76 Acres • 5 341 518 $ CAD • Staten Island, NY 10312


Certaines informations ont été traduites automatiquement.
Faits saillants de l'investissement
- Arrêt d'autobus et train à proximité
Résumé de l'annonce
FAIRE UNE OFFRE MOTIVÉE PAR LE PROPRIÉTAIRE... PEUT CONSTRUIRE UN JARDIN DE 16-18 UNITÉS À PART, PEUT-ÊTRE UNE ÉCOLE PRIVÉE OU UN ÉDIMENT MÉDICAL OU SANTÉ.. EXCELLENT EMPLACEMENT.. LIVRERA AVEC LES APPROBATIONS POUR L'APPARTEMENT DE JARDIN
HI TRAFIC COMPTÉ... PRATIQUE POUR TOUS
HI TRAFIC COMPTÉ... PRATIQUE POUR TOUS
Faits sur la propriété
1 Lot disponible
Lot
| Prix | 5 341 518 $ CAD | Taille du lot | 0,76 AC |
| Prix par AC | 7 050 801,33 $ CAD |
| Prix | 5 341 518 $ CAD |
| Prix par AC | 7 050 801,33 $ CAD |
| Taille du lot | 0,76 AC |
LIVRER AVEC APPROBATIONS POUR L'APPARTEMENT DE 3 STOTRY GARDE.DE 16 UNITÉS.. LA FONDATION EST DÉJÀ INSTALLITE.
Description
Parcelle de niveau avec fondation installée pour soutenir un appartement de jardin de 2 étages de 20 000 pi2 de 16 unités. VENDRA DES SUBJ À DES APPROBATIONS POUR CONSTRUIRE UN JARDIN DE 16 UNITÉS À PART. TOUS LES GRANDS APPARTEMENTS
1 1
Walk Score®
Très pratique à pied (72)
1 de 3
Vidéos
Visite extérieure 3D Matterport
Visite 3D Matterport
Photos
Vue depuis la rue
Rue
Carte
1 de 1
Présenté par
Della Realty
1150 Arden Ave
Vous êtes déjà membre? Connectez-vous
Hmm, il semble y avoir eu une erreur lors de l’envoi de votre message. Veuillez réessayer.
Merci! Votre message a été envoyé.
Votre message a été envoyé !
Activez votre compte LoopNet dès maintenant pour suivre les propriétés, recevoir des alertes en temps réel, gagner du temps sur vos demandes futures et bien plus encore.
