Votre courriel a été envoyé.
1155 N Clinton Ave Lot • Terrain commercial • 0,35 Acres • 103 206 $ CAD • Rochester, NY 14621


Certaines informations ont été traduites automatiquement.
Faits saillants de l'investissement
- Beaucoup de densité résidentielle avec un fort nombre de trafic. Idéal pour de nombreux usages.
Résumé de l'annonce
Faits sur la propriété
1 Lot disponible
Lot
| Prix | 103 206 $ CAD | Taille du lot | 0,35 AC |
| Prix par AC | 294 874,29 $ CAD |
| Prix | 103 206 $ CAD |
| Prix par AC | 294 874,29 $ CAD |
| Taille du lot | 0,35 AC |
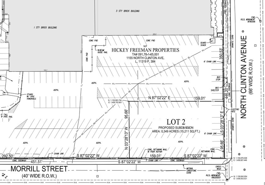
La parcelle d'angle est conçue pour un immeuble de 9 550 pi2 et 16 places de stationnement sur une parcelle de 0,349 acre. Le zonage est M-1. (L'immeuble Hickey Freeman est en cours de transformation en appartements résidentiels)
Description
L'immeuble Hickey Freeman est en cours de transformation en appartements résidentiels. Cette parcelle située au coin de la rue est à vendre. Il est zoné M-1 qui permet diverses utilisations. Idéal pour un établissement de soins médicaux d'urgence ou des bureaux. Parking abondant sur le site.
Présenté par
1155 N Clinton Ave
Hmm, il semble y avoir eu une erreur lors de l’envoi de votre message. Veuillez réessayer.
Merci! Votre message a été envoyé.

