Se Connecter/S’inscrire
Votre courriel a été envoyé.
1160 Dingman Slagle Rd
Sidney, OH 45365
East Ridge Subdivision · Terrain À vendre
·
8,20 AC


Certaines informations ont été traduites automatiquement.
Faits saillants de l'investissement
- R3 Multifamily Zoning (By-Right Density) – Ideal for apartment or townhome development with strong unit yield potential
- Approved Subdivision – Final section of East Ridge Subdivision with prior development precedent in place
- Existing Utility Infrastructure Nearby – Ties into existing storm system, including 21” storm line connection
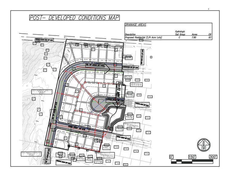
- 8.2 Acre Site with Engineered 33 residential lots + 2 common areas
- Flat Topography with Stormwater Engineering Completed – Detention design and hydrology fully engineered, reducing entitlement risk
- Infill Location Within Established Neighborhood
Résumé de l'annonce
Excellent infill site as the final phase of the established East Ridge Subdivision, this ±8.2-acre R3-zoned site presents a rare opportunity for a developer to deliver single, multifamily, or build-to-rent product with much of the heavy lifting already complete. The site has been engineered for 33 residential lots and includes completed stormwater detention design and drainage studies, significantly reducing upfront entitlement and engineering timelines.
Located within an existing residential corridor in Sidney, the property benefits from surrounding housing demand, existing infrastructure tie-ins, and a logical path to vertical development. The relatively flat topography and prior subdivision planning further streamline construction feasibility and underwriting. With a low basis of $500,000, this site offers developers the ability to achieve strong returns through efficient density and reduced pre-development risk.
Contact Cole Kroneker to learn more.
Located within an existing residential corridor in Sidney, the property benefits from surrounding housing demand, existing infrastructure tie-ins, and a logical path to vertical development. The relatively flat topography and prior subdivision planning further streamline construction feasibility and underwriting. With a low basis of $500,000, this site offers developers the ability to achieve strong returns through efficient density and reduced pre-development risk.
Contact Cole Kroneker to learn more.
Faits sur la propriété
| Type de vente | Investissement | Sous-type de propriété | Terrain commercial |
| Nombre de lots | 1 | Taille totale du lot | 8,20 AC |
| Type de propriété | Terrain | ||
| Zonage | R3 - Multifamily | ||
| Type de vente | Investissement |
| Nombre de lots | 1 |
| Type de propriété | Terrain |
| Sous-type de propriété | Terrain commercial |
| Taille totale du lot | 8,20 AC |
| Zonage | R3 - Multifamily |
1 Lot disponible
Lot
| Prix | 688 750 $ CAD | Taille du lot | 8,20 AC |
| Prix par AC | 83 993,91 $ CAD |
| Prix | 688 750 $ CAD |
| Prix par AC | 83 993,91 $ CAD |
| Taille du lot | 8,20 AC |
1 de 4
Vidéos
Visite extérieure 3D Matterport
Visite 3D Matterport
Photos
Vue depuis la rue
Rue
Carte
