Se Connecter/S’inscrire
Votre courriel a été envoyé.
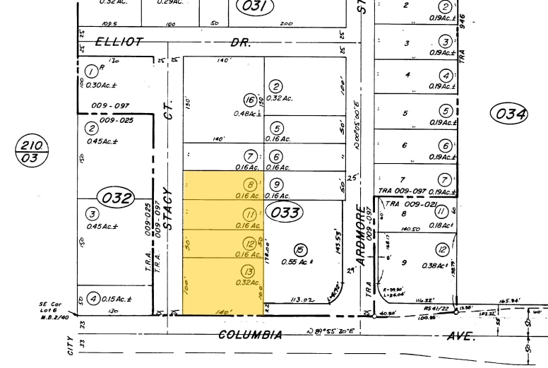
1168 Stacy Ct - Vacant Industrial Land with plans included Lot • Terrain commercial • 0,21 Acres • 343 850 $ CAD • Riverside, CA 92507



Certaines informations ont été traduites automatiquement.
Faits saillants de l'investissement
- General Industrial zoned lot located in Riverside’s Hunter Park area.
- Corner lot with two points of access for improved site circulation.
- Suitable for light industrial, automotive service, or service commercial uses.
- Approved plans for a 2,726 SF automotive service building included (slab poured, permit expired).
- Immediate access to the 91, I-215, and 60 Freeway interchange.
- Located within an established industrial corridor with strong regional connectivity.
Résumé de l'annonce
This industrial-zoned parcel offers a rare opportunity in Riverside’s Hunter Park area, positioned at the northeast corner of Stacy Court and Paige Drive. The 9,043-square-foot site is zoned for general industrial use, making it suitable for light manufacturing, automotive service, or other service-oriented commercial applications. Included with the sale are approved plans for a 2,726-square-foot automotive service building, with the slab already poured (permit expired).
Faits sur la propriété
| Prix | 343 850 $ CAD | Sous-type de propriété | Terrain commercial |
| Type de vente | Investissement | Utilisation proposée | Inconnu |
| Nombre de lots | 1 | Taille totale du lot | 0,21 AC |
| Type de propriété | Terrain | Zone de développement économique |
Oui
|
| Zonage | R1 | ||
| Prix | 343 850 $ CAD |
| Type de vente | Investissement |
| Nombre de lots | 1 |
| Type de propriété | Terrain |
| Sous-type de propriété | Terrain commercial |
| Utilisation proposée | Inconnu |
| Taille totale du lot | 0,21 AC |
| Zone de développement économique |
Oui |
| Zonage | R1 |
1 Lot disponible
Lot
| Prix | 343 850 $ CAD | Taille du lot | 0,21 AC |
| Prix par AC | 1 637 310,72 $ CAD |
| Prix | 343 850 $ CAD |
| Prix par AC | 1 637 310,72 $ CAD |
| Taille du lot | 0,21 AC |
Description
The property is a 0.21-acre industrial-zoned lot located at 1160 Stacy Court in Riverside, California. It is positioned at the northeast corner of Stacy Court and Paige Drive within the Hunter Park area. The site includes plans for a 2,726-square-foot automotive service building, with the slab already poured, though the permit has expired. The location provides access to the 91, I-215, and 60 Freeway interchange and allows entry from two streets.
1 1
Assez practicable à pied
50/100
Exceptionnellement facile d'accès en voiture
100/100
Transports en commun relativement accessibles
50/100
Plutôt praticable en vélo
50/100
Impôts fonciers
| Numéro de lot | 249-033-021 | Évaluation des bâtiments | 0 $ CAD |
| Évaluation du terrain | 348 840 $ CAD | Évaluation totale | 348 840 $ CAD |
Impôts fonciers
Numéro de lot
249-033-021
Évaluation du terrain
348 840 $ CAD
Évaluation des bâtiments
0 $ CAD
Évaluation totale
348 840 $ CAD
1 de 4
Vidéos
Visite extérieure 3D Matterport
Visite 3D Matterport
Photos
Vue depuis la rue
Rue
Carte
1 de 1
Présenté par
1168 Stacy Ct - Vacant Industrial Land with plans included
Vous êtes déjà membre? Connectez-vous
Hmm, il semble y avoir eu une erreur lors de l’envoi de votre message. Veuillez réessayer.
Merci! Votre message a été envoyé.
