Se Connecter/S’inscrire
Votre courriel a été envoyé.
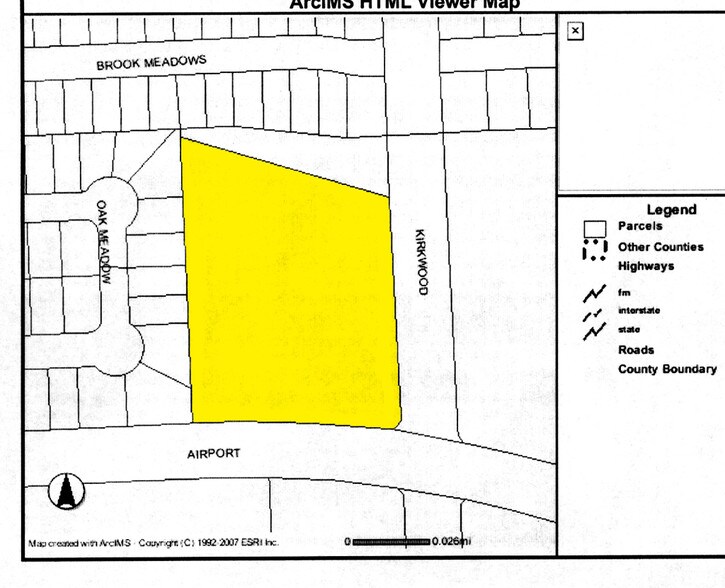
11720 W Airport Blvd
Stafford, TX 77477
Meadows Place Pad Site · Terrain À vendre
·
0,50 AC


Certaines informations ont été traduites automatiquement.
FAITS SUR LA PROPRIÉTÉ
1 LOT DISPONIBLE
Lot
| Taille du lot | 0,50 AC |
| Taille du lot | 0,50 AC |
Pad Site For Sale Or Land Lease, Ground Lease
Impôts fonciers
| Numéro de lot | 0101-00-000-1270-907 | Évaluation des bâtiments | 4 144 883 $ CAD |
| Évaluation du terrain | 1 969 450 $ CAD | Évaluation totale | 6 114 333 $ CAD |
Impôts fonciers
Numéro de lot
0101-00-000-1270-907
Évaluation du terrain
1 969 450 $ CAD
Évaluation des bâtiments
4 144 883 $ CAD
Évaluation totale
6 114 333 $ CAD
1 de 5
VIDÉOS
VISITE EXTÉRIEURE 3D MATTERPORT
VISITE 3D MATTERPORT
PHOTOS
VUE DEPUIS LA RUE
RUE
CARTE
