Se Connecter/S’inscrire
Votre courriel a été envoyé.
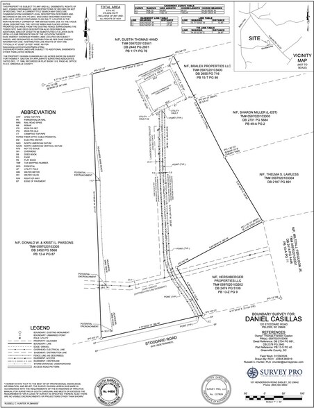
120 Stoddard rd - 120 Stoddard Rd Lot • Terrain commercial • 5,01 Acres • 286 545 $ CAD • Pelzer, SC 29669



Certaines informations ont été traduites automatiquement.
Résumé de l'annonce
• Unzoned, suitable for flex/industrial development or IOS/laydown yard
• Flat topography
• Power available from Duke Power. Greenville Water line ends at intersection of Stoddard and Augusta Rd.
Septic would be required.
• Owner would consider splitting the property per the survey below. He would sell the left ±2.64 acres for
$120,000 and the right ±2.37 acres for $110,000.
• Flat topography
• Power available from Duke Power. Greenville Water line ends at intersection of Stoddard and Augusta Rd.
Septic would be required.
• Owner would consider splitting the property per the survey below. He would sell the left ±2.64 acres for
$120,000 and the right ±2.37 acres for $110,000.
Faits sur la propriété
| Prix | 286 545 $ CAD | Type de propriété | Terrain |
| Type de vente | Investissement ou propriétaire utilisateur | Sous-type de propriété | Terrain commercial |
| Nombre de lots | 1 | Taille totale du lot | 5,01 AC |
| Zonage | Unzoned | ||
| Prix | 286 545 $ CAD |
| Type de vente | Investissement ou propriétaire utilisateur |
| Nombre de lots | 1 |
| Type de propriété | Terrain |
| Sous-type de propriété | Terrain commercial |
| Taille totale du lot | 5,01 AC |
| Zonage | Unzoned |
1 Lot disponible
Lot
| Prix | 286 545 $ CAD | Taille du lot | 5,01 AC |
| Prix par AC | 57 194,61 $ CAD |
| Prix | 286 545 $ CAD |
| Prix par AC | 57 194,61 $ CAD |
| Taille du lot | 5,01 AC |
• Unzoned, suitable for flex/industrial development or IOS/laydown yard • Flat topography • Greenville TMS 0597020103306
1 1
1 de 6
Vidéos
Visite extérieure 3D Matterport
Visite 3D Matterport
Photos
Vue depuis la rue
Rue
Carte
1 de 1
Présenté par
120 Stoddard rd - 120 Stoddard Rd
Vous êtes déjà membre? Connectez-vous
Hmm, il semble y avoir eu une erreur lors de l’envoi de votre message. Veuillez réessayer.
Merci! Votre message a été envoyé.
Votre message a été envoyé !
Activez votre compte LoopNet dès maintenant pour suivre les propriétés, recevoir des alertes en temps réel, gagner du temps sur vos demandes futures et bien plus encore.
