Se Connecter/S’inscrire
Votre courriel a été envoyé.
1200 BLK Airport Blvd
Pensacola, FL 32504
Terrain À louer


Certaines informations ont été traduites automatiquement.
Faits saillants
- Excellent bail foncier de +/- .44 acre ou possibilité de construction selon les besoins
- Grande visibilité jusqu'à 37 500 VPD avec une intersection signalée
- Dans les 10 minutes du nouvel hôpital baptiste de 636 millions de dollars, du Pensacola Christian College, de l'aéroport international de Pensacola et du centre commercial Cordova
Aperçu de la propriété
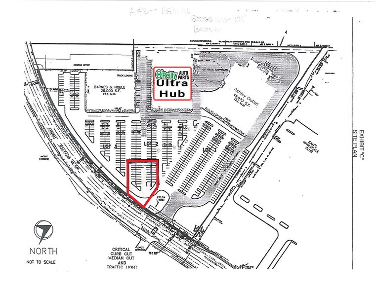
Bail foncier de +/- 0,44 acre ou parcelle de terrain construit sur place à Pensacola, en Floride. Le site est adjacent aux détaillants Barnes & Noble, O'Reilly Auto Parts Ultra Hub et Ashley Outlet. La propriété se trouve à quelques minutes de l'aéroport international de Pensacola, du centre commercial Cordova, de l'hôpital Sacred Heart, des écoles locales et du nouvel hôpital baptiste de 636 millions de dollars. Les détaillants nationaux à proximité comprennent Publix, Target, Lowe's, Dicks Sporting Goods, Hobby Lobby, Big Lots, Walmart, Winn Dixie, Dollar Tree, CVS, Walgreens, Starbucks et bien d'autres.
Faits sur la propriété
1 de 15
Vidéos
Visite extérieure 3D Matterport
Visite 3D Matterport
Photos
Vue depuis la rue
Rue
Carte
