Se Connecter/S’inscrire
Votre courriel a été envoyé.
1200 E Rio Salado Pky
Tempe, AZ 85281
Lot 1 - South Pier-Tempe Town Lake · Terrain À vendre
·
3,04 AC


Certaines informations ont été traduites automatiquement.
Faits saillants de l'investissement
- Located in the heart of Tempe, Tempe Town Lake is Arizona's second-most visited public attraction.
Résumé de l'annonce
Four prime lots for sale in South Pier at Tempe Town Lake — a premier mixed-use development featuring retail, multifamily, office, and entertainment. Lot 1 is currently entitled for a multifamily and retail mixed-use development with 624 multifamily units and 21,450 square feet of retail space. Call for pricing.
Faits sur la propriété
1 Lot disponible
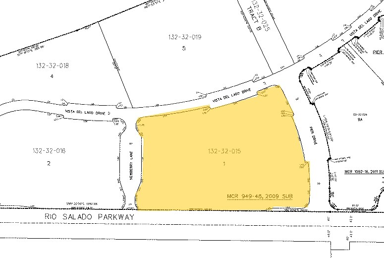
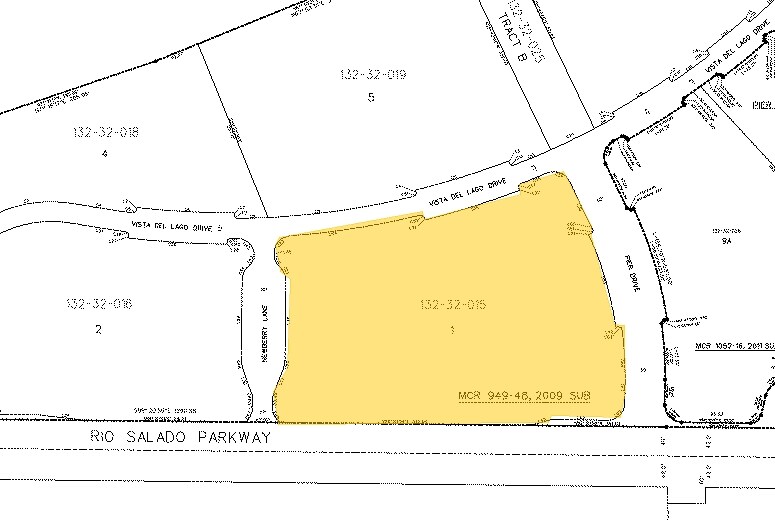
Lot 1
| Taille du lot | 3,04 AC |
| Taille du lot | 3,04 AC |
Lot 1 currently entitled for 624 multifamily units (628,000 SF), retail (21,450 SF) and 535,090 SF of parking space.
Impôts fonciers
| Numéro de lot | 132-32-015 | Évaluation des bâtiments | 0 $ CAD |
| Évaluation du terrain | 1 019 250 $ CAD | Évaluation totale | 1 019 250 $ CAD |
Impôts fonciers
Numéro de lot
132-32-015
Évaluation du terrain
1 019 250 $ CAD
Évaluation des bâtiments
0 $ CAD
Évaluation totale
1 019 250 $ CAD
1 de 3
Vidéos
Visite extérieure 3D Matterport
Visite 3D Matterport
Photos
Vue depuis la rue
Rue
Carte
