Votre courriel a été envoyé.
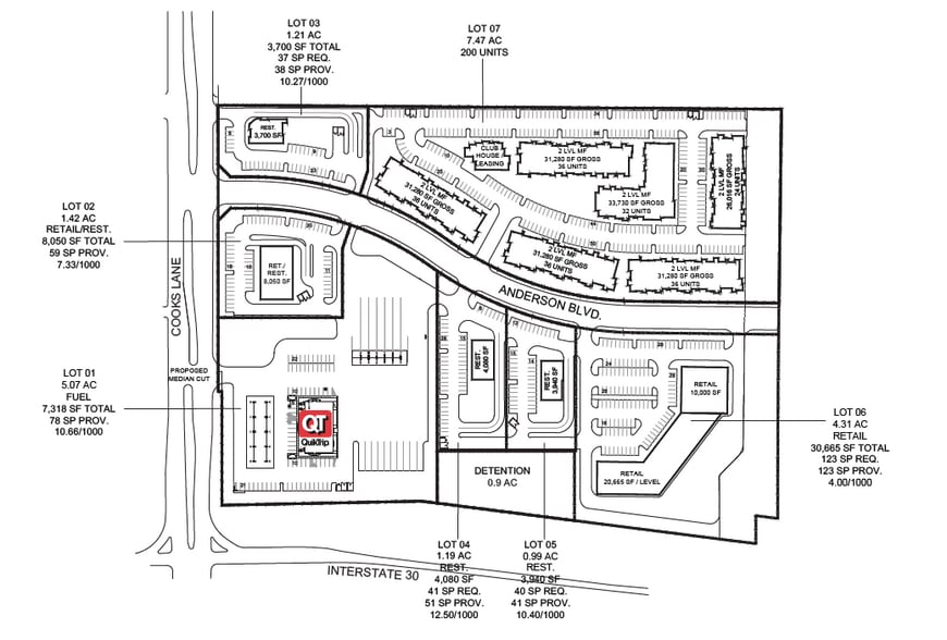
1201 Cooks Lane - QuikTrip Travel Center Anchored Pads Lot • Terrain commercial • 24,5 Acres • Fort Worth, TX 76120


Certaines informations ont été traduites automatiquement.
Faits saillants de l'investissement
- 24.5 acres
- Proximity to multiple major thoroughfares and highways
- Excellent highway frontage and visibility
- QuikTrip Travel Center Anchored
Faits sur la propriété
1 Lot disponible
Lot
| Taille du lot | 24,50 AC |
| Taille du lot | 24,50 AC |
Description
I-30 & Cooks Ln (« Propriété ») est située dans le principal corridor commercial de l'est de Fort Worth, Texas, à l'angle nord-est de l'Interstate 30 et de Cooks Lane, avec un flux de circulation dépassant les 140 000 véhicules par jour. La propriété se trouve à l'ouest de Eastchase Village, qui abrite des locataires tels que Walmart, Sam’s Club, Lowe’s Home Improvement et CarMax. Eastchase Market est situé au sud de la même intersection et propose une solide liste de locataires nationaux, notamment AMC Theatres, Target, Ross, Marshalls, Office Depot, Dollar Tree, Spec’s et Aldi, entre autres.
Impôts fonciers
| Numéro de lot | 05309794 | Évaluation des bâtiments | 0 $ CAD |
| Évaluation du terrain | 1 097 700 $ CAD | Évaluation totale | 1 097 700 $ CAD |
Impôts fonciers
Présenté par
1201 Cooks Lane - QuikTrip Travel Center Anchored Pads
Hmm, il semble y avoir eu une erreur lors de l’envoi de votre message. Veuillez réessayer.
Merci! Votre message a été envoyé.
