Se Connecter/S’inscrire
Votre courriel a été envoyé.
1205-1297 NE Evergreen Rd
Hillsboro, OR 97124
Jackson South Corporate Park · Industriel Propriété À louer
·
405 120 pi²


Certaines informations ont été traduites automatiquement.
Faits saillants du parc
- Tarification : Contactez les courtiers
- Superficie du site : 32,12 acres
- Occupation : T2 2027
- FTS disponibles : 40 000 - 540 880 SF
- Zonage : IS (sanctuaire industriel — ville de Hillsboro) et zone d'entreprise
- Routes adjacentes : 25e rue NE, chemin Jackson School NW, chemin Evergreen au nord-est
Faits sur le parc
| Superficie totale disponible | 405 120 pi² | Type de parc | Parc industriel |
| Superficie totale disponible | 405 120 pi² |
| Type de parc | Parc industriel |
Aperçu du parc
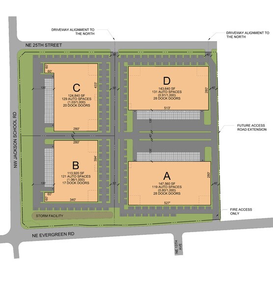
Jackson South Corporate Park est un complexe industriel de construction neuve situé à Hillsboro, en Oregon, disponible à la location ou à la vente. La construction de quatre immeubles est prévue à titre spéculatif. Le plan du site peut être modifié pour tenir compte de la construction sur mesure, des utilisateurs du campus ou de la vente pure et simple de terrains. Communiquez avec les courtiers pour plus de détails.
1 de 5
Vidéos
Visite extérieure 3D Matterport
Visite 3D Matterport
Photos
Vue depuis la rue
Rue
Carte
