Se Connecter/S’inscrire
Votre courriel a été envoyé.
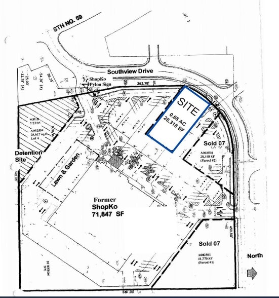
1210 Susan Dr - 0.65 acres Marshall MN Pad Site Lot • Terrain commercial • 0,65 Acres • Marshall, MN 56258



Certaines informations ont été traduites automatiquement.
Faits saillants de l'investissement
- Site de pavage au cœur du quartier commercial de Marshall, Minnesota
Résumé de l'annonce
Zonage : « B-3 » Affaires générales
Faits sur la propriété
| Type de vente | Investissement ou propriétaire utilisateur | Sous-type de propriété | Terrain commercial |
| Nombre de lots | 1 | Utilisation proposée | Commercial |
| Type de propriété | Terrain | Taille totale du lot | 0,65 AC |
| Zonage | B3 - Affaires générales | ||
| Type de vente | Investissement ou propriétaire utilisateur |
| Nombre de lots | 1 |
| Type de propriété | Terrain |
| Sous-type de propriété | Terrain commercial |
| Utilisation proposée | Commercial |
| Taille totale du lot | 0,65 AC |
| Zonage | B3 - Affaires générales |
1 Lot disponible
Lot
| Taille du lot | 0,65 AC |
| Taille du lot | 0,65 AC |
À VENDRE : terrain de terrain de +/- 0,65 acre au large de la rue E Main juste à côté de l'intersection de la route 23, dans l'un des quartiers commerciaux de Marshall, au Manitoba.
Description
À VENDRE : terrain de terrain de +/- 0,65 acre au large de la rue E Main juste à côté de l'intersection de la route 23, dans l'un des quartiers commerciaux de Marshall, au Manitoba.
Assez praticable à pied
40/100
Exceptionnellement facile d’accès en voiture
100/100
Plutôt praticable en vélo
40/100
Impôts fonciers
| Numéro de lot | 27-798001-6 | Évaluation des bâtiments | 30 968 $ CAD |
| Évaluation du terrain | 169 984 $ CAD | Évaluation totale | 200 953 $ CAD |
Impôts fonciers
Numéro de lot
27-798001-6
Évaluation du terrain
169 984 $ CAD
Évaluation des bâtiments
30 968 $ CAD
Évaluation totale
200 953 $ CAD
1 de 4
Vidéos
Visite extérieure 3D Matterport
Visite 3D Matterport
Photos
Vue depuis la rue
Rue
Carte
Présenté par
1210 Susan Dr - 0.65 acres Marshall MN Pad Site
Vous êtes déjà membre? Connectez-vous
Hmm, il semble y avoir eu une erreur lors de l’envoi de votre message. Veuillez réessayer.
Merci! Votre message a été envoyé.

